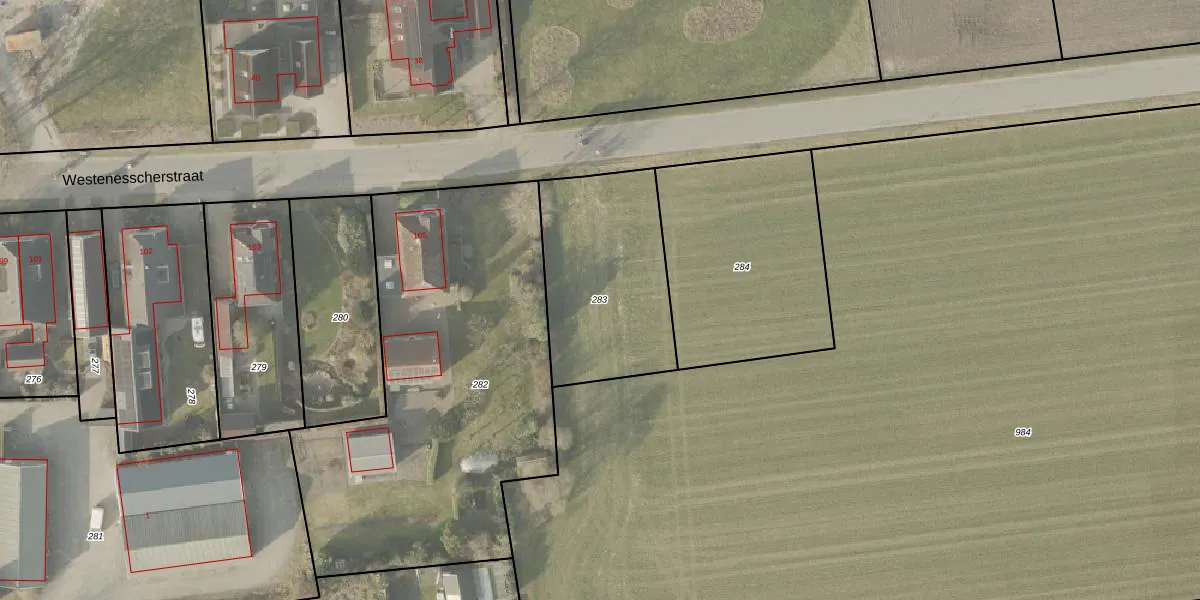
Perceel: EMN00-T-283
KadastraleKaart.com kan meer dan je denktOntdek meer ›
Filter op bestemming 50+ datasets Eigendomsdata in één klik Percelen CRM
Geen adressen bij dit perceel
710 m2 - 109 m
Eigenaar opvragen
EMN00-T-283 (Emmen)
- Geen postcode aanwezig
7rQ6wT5l GKam2NvhwW4Upgrade naar KadastraleKaart Pro
Bekijk op Street View
Download DWG/DXF/Excel
1YuLqHlmbkxQdF R 0Upgrade naar KadastraleKaart Pro
4I5T5uEiHAp Upgrade naar KadastraleKaart Pro
4Z34wq 8e1YbgOu0x J0Upgrade naar KadastraleKaart Pro
p7 OIZQN Upgrade naar KadastraleKaart Pro
uvh FrQbuE 1WfXhvcUpgrade naar KadastraleKaart Pro
32SAP qVoHUpgrade naar KadastraleKaart Pro
Xn nh1a a1 4j FUpgrade naar KadastraleKaart Pro
Ph52KnT2v DLUpgrade naar KadastraleKaart Pro
QHHACpM1T06hp7EUpgrade naar KadastraleKaart Pro
0HZkf fWpMnkp0gUpgrade naar KadastraleKaart Pro
17/06/2011

Percelen
Gebruik de zoekbalk of klik op een perceel om informatie over het perceel te bekijken.