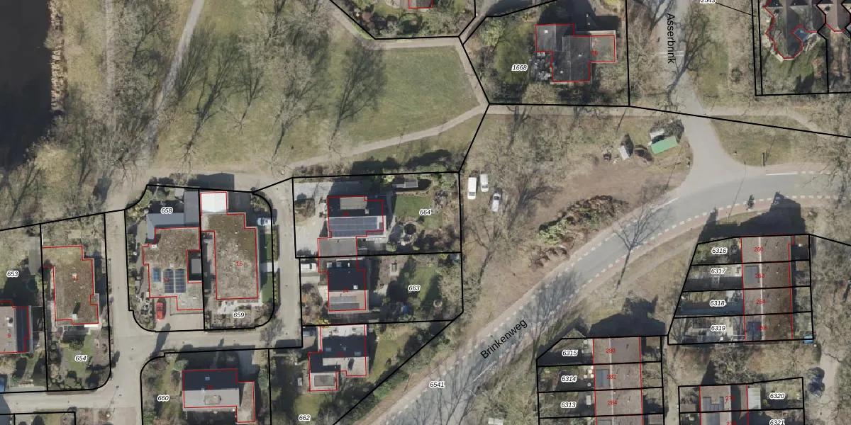
Perceel: EMN00-W-664
KadastraleKaart.com kan meer dan je denktOntdek meer ›
Filter op bestemming 50+ datasets Eigendomsdata in één klik Percelen CRM
746 m2 - 116 m
Eigenaar opvragen
EMN00-W-664 (Emmen)
- 7812 NC
5g9Jcyomo we sb1WXUhnW2jfUpgrade naar KadastraleKaart Pro
Bekijk op Street View
Download DWG/DXF/Excel
SuPG sVpOwYjF2yeP3bMUpgrade naar KadastraleKaart Pro
K4ce2FihM6kENtgUpgrade naar KadastraleKaart Pro
jEuIpdc7NlsH eyUpgrade naar KadastraleKaart Pro
h21BmTrTG6Ecj1J2dJEUpgrade naar KadastraleKaart Pro
TfKx5Cydh rcROn7wj DBfUpgrade naar KadastraleKaart Pro
n56vgG43z8n69pz5x9Xn0VUpgrade naar KadastraleKaart Pro
9 gnHiJu4HX n7R4Upgrade naar KadastraleKaart Pro
xrvZ ej hnnwG WUpgrade naar KadastraleKaart Pro
LV5 Ie330K z osUpgrade naar KadastraleKaart Pro
K 6FBM Jy 5WYUpgrade naar KadastraleKaart Pro
16/09/2003

Percelen
Gebruik de zoekbalk of klik op een perceel om informatie over het perceel te bekijken.