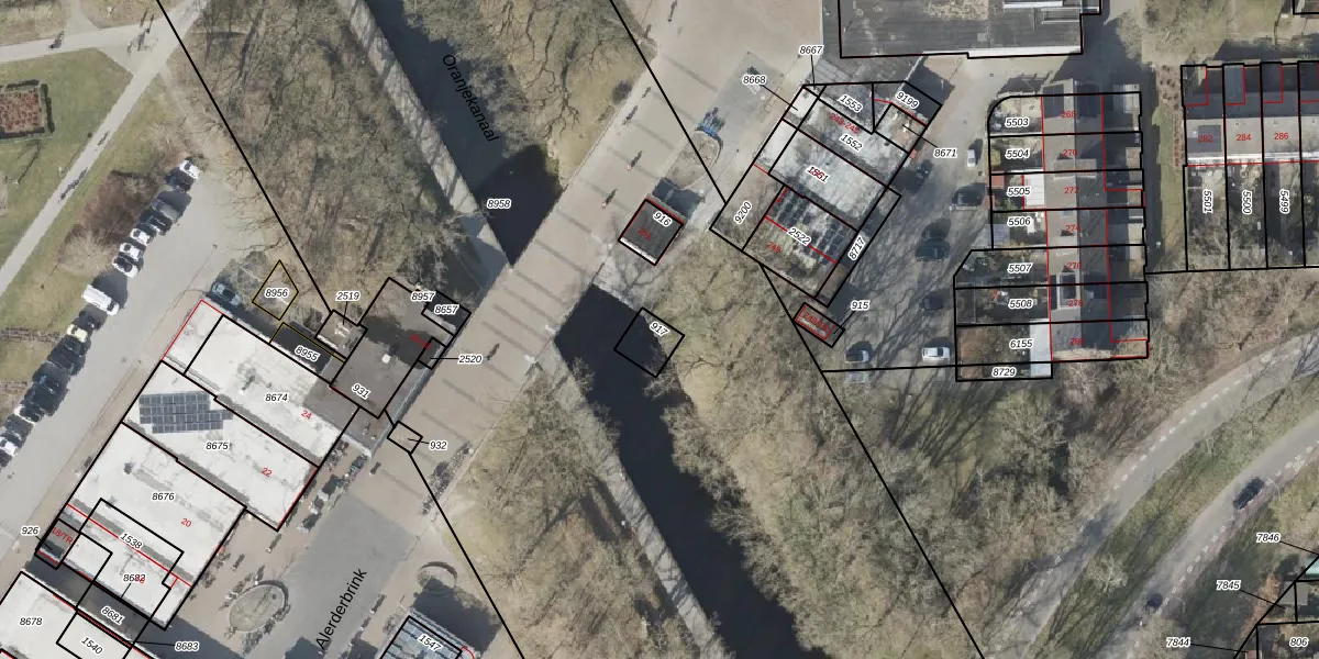
Perceel: EMN00-W-917
KadastraleKaart.com kan meer dan je denktOntdek meer ›
Filter op bestemming 50+ datasets Eigendomsdata in één klik Percelen CRM
Geen adressen bij dit perceel
59 m2 - 31 m
Eigenaar opvragen
EMN00-W-917 (Emmen)
- Geen postcode aanwezig
t5VSu ULI3mqC lYUpgrade naar KadastraleKaart Pro
Bekijk op Street View
Download DWG/DXF/Excel
nUAvxWGAwtBUpgrade naar KadastraleKaart Pro
shqqT JLt GR SUpgrade naar KadastraleKaart Pro
j WKbfdNBYOUpgrade naar KadastraleKaart Pro
qRHkLcogtf1ShuVJ7IU9U Upgrade naar KadastraleKaart Pro
dHRA9ktUpgrade naar KadastraleKaart Pro
WNWfKTm AcUpgrade naar KadastraleKaart Pro
N6K7bXl6hjZ8Lth9rUUpgrade naar KadastraleKaart Pro
Duo8lGH ZL Myt89cxkkUpgrade naar KadastraleKaart Pro
QazjxQC fUk0 EEE4Upgrade naar KadastraleKaart Pro
Bw1a k5kXpYVzumkhgWc6Upgrade naar KadastraleKaart Pro
16/09/2003

Percelen
Gebruik de zoekbalk of klik op een perceel om informatie over het perceel te bekijken.