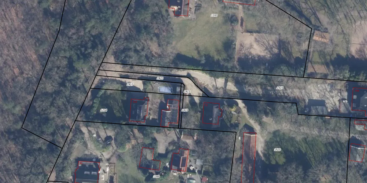
Perceel: ENS00-F-1421

Adres bij perceel

Geen adressen bij dit perceel

Perceeloppervlakte & perceelomtrek

10 m2 - 16 m

Eigenaar van het perceel

Eigenaar opvragen

Kadastrale aanduiding

ENS00-F-1421 (Eemnes)

Postcode in perceel

    Geen postcode aanwezig

Type eigenaar

0rM M6Zcsn u wUUpgrade naar KadastraleKaart Pro

Google Street View

Bekijk op Street View

Download

Download DWG/DXF/Excel

Gerelateerde percelen

rmNX6isLp0PljvOUpgrade naar KadastraleKaart Pro

Bebouwd/onbebouwd/water/groen

6W qZOaKTv36RytPRBPVl5MUpgrade naar KadastraleKaart Pro
Administratieve eenheden
BVx9lgNB2qnUpgrade naar KadastraleKaart Pro

Appartementsrechten

BwiDdY6 zxThfI nXpCl UUpgrade naar KadastraleKaart Pro

Vergunningverlenende instanties

6VX91f3D22cDtuxmG3OuyUpgrade naar KadastraleKaart Pro

Bedekking (BGT)

jNqql 4lxWxAnFEbUpgrade naar KadastraleKaart Pro

Publiekrechtelijke beperkingen

VjDCgbuYcbvgGDs3Upgrade naar KadastraleKaart Pro

Grensnauwkeurigheid

7u6Ovd9ioOZX5 Ni7EIUpgrade naar KadastraleKaart Pro

Coördinaten hoekpunten perceel

UklC3zMUjWXrTdPREC6Upgrade naar KadastraleKaart Pro

Hoogteligging

2WM ljDoaoI6iUpgrade naar KadastraleKaart Pro

Laatst gewijzigd

04/12/2018

Kadastrale kaart met maatvoering 59,95
Kadastrale kaart pakket 28,95

Percelen

Gebruik de zoekbalk of klik op een perceel om informatie over het perceel te bekijken.
Locatie
Meten
Lagen
Download