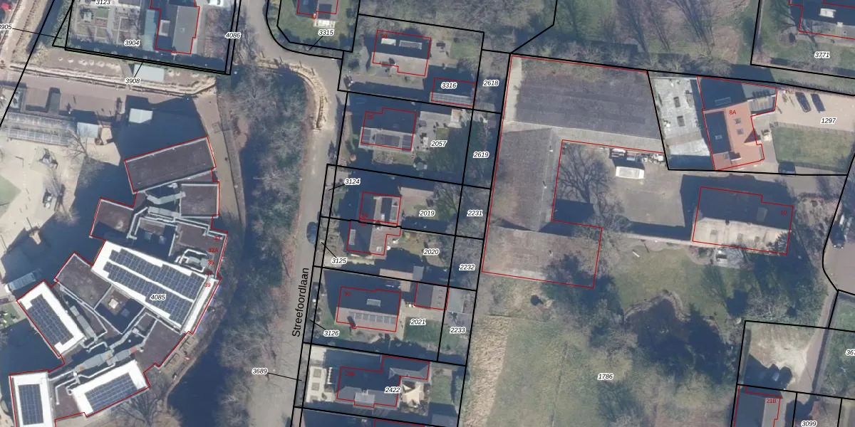
Perceel: ENS00-G-2019

Adres bij perceel

Perceeloppervlakte & perceelomtrek

360 m2 - 85 m

Eigenaar van het perceel

Eigenaar opvragen

Kadastrale aanduiding

ENS00-G-2019 (Eemnes)

Postcode in perceel

    3755 BB

Type eigenaar

ZrxcGRlBeV Au1BMbZ4SrIpETkGbRUpgrade naar KadastraleKaart Pro

Google Street View

Bekijk op Street View

Download

Download DWG/DXF/Excel

Gerelateerde percelen

HV6YJ vUpgrade naar KadastraleKaart Pro

Bebouwd/onbebouwd/water/groen

S ytndKRDXMWdNGfqootSUpgrade naar KadastraleKaart Pro
Administratieve eenheden
7IoPBoIInw Upgrade naar KadastraleKaart Pro

Appartementsrechten

p3caX M4oHXJOCP TrUpgrade naar KadastraleKaart Pro

Vergunningverlenende instanties

hcchpp0wBgUG35b5XIUpgrade naar KadastraleKaart Pro

Bedekking (BGT)

HK7nCsZ WB CIUpgrade naar KadastraleKaart Pro

Publiekrechtelijke beperkingen

xT5PDXDPL 2Z ek Upgrade naar KadastraleKaart Pro

Grensnauwkeurigheid

CvIk Zk57H6FQj2E 93ePIbUpgrade naar KadastraleKaart Pro

Coördinaten hoekpunten perceel

bmrW0tDiH6IfBEN IG2J2Upgrade naar KadastraleKaart Pro

Hoogteligging

vFGW YusH6Upgrade naar KadastraleKaart Pro

Laatst gewijzigd

19/09/1997

Kadastrale kaart met maatvoering 59,95
Kadastrale kaart pakket 28,95

Percelen

Gebruik de zoekbalk of klik op een perceel om informatie over het perceel te bekijken.
Locatie
Meten
Lagen
Download