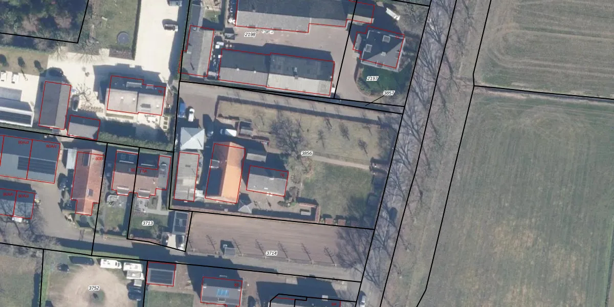
Perceel: ENS00-G-3856
KadastraleKaart.com kan meer dan je denktOntdek meer ›
Filter op bestemming 50+ datasets Eigendomsdata in één klik Percelen CRM
2.870 m2 - 221 m
Eigenaar opvragen
ENS00-G-3856 (Eemnes)
- 3755 DD
6x1ToYpqPDxu8oTvfUpgrade naar KadastraleKaart Pro
Bekijk op Street View
Download DWG/DXF/Excel
0djzPbV1 AqimCDzUpgrade naar KadastraleKaart Pro
xxBUzt7I Upgrade naar KadastraleKaart Pro
ZKD5U96F6bOylIHRugQBX5qUpgrade naar KadastraleKaart Pro
a DTc qAr6Upgrade naar KadastraleKaart Pro
WktqhyvcxSvUpgrade naar KadastraleKaart Pro
Jf3fxp3 djr 9bmsWxmnQUpgrade naar KadastraleKaart Pro
efh9Dw4OAlEPt58YG dfUpgrade naar KadastraleKaart Pro
mxZBPy 25oBUItwUpgrade naar KadastraleKaart Pro
QQy9hcSjsS yUpgrade naar KadastraleKaart Pro
BFfm GgtiqkLF2H1Uy35Upgrade naar KadastraleKaart Pro
03/12/2010

Percelen
Gebruik de zoekbalk of klik op een perceel om informatie over het perceel te bekijken.