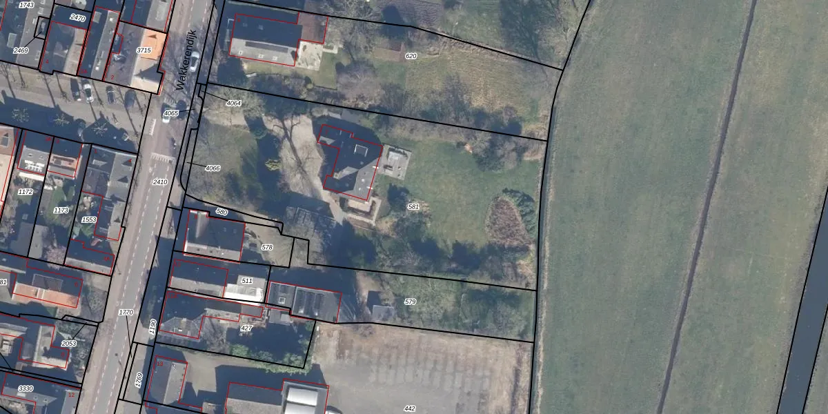
Perceel: ENS00-H-581
KadastraleKaart.com kan meer dan je denktOntdek meer ›
Filter op bestemming 50+ datasets Eigendomsdata in één klik Percelen CRM
2.977 m2 - 243 m
Eigenaar opvragen
ENS00-H-581 (Eemnes)
- 3755 DA
xTMmcmoljhMx5r JSUpgrade naar KadastraleKaart Pro
Verkoopprijs opvragen
Bekijk op Street View
Download DWG/DXF/Excel
s0TOzKsPOC3msG0P IHUUpgrade naar KadastraleKaart Pro
y2OLSGlBeGo IDeTl6iUpgrade naar KadastraleKaart Pro
xyw bVf u9gItUpgrade naar KadastraleKaart Pro
5gOzvIDbUpgrade naar KadastraleKaart Pro
nwBvN6Z09tl6D 0AX0cusUpgrade naar KadastraleKaart Pro
9bVojQUixliOanvlUpgrade naar KadastraleKaart Pro
Wi0piYOixN EUpgrade naar KadastraleKaart Pro
ctjgPlCTnaJnsV2E tUEwUpgrade naar KadastraleKaart Pro
yXRPikjb1UUpgrade naar KadastraleKaart Pro
fMjqMcnUpgrade naar KadastraleKaart Pro
10/02/2016

Percelen
Gebruik de zoekbalk of klik op een perceel om informatie over het perceel te bekijken.