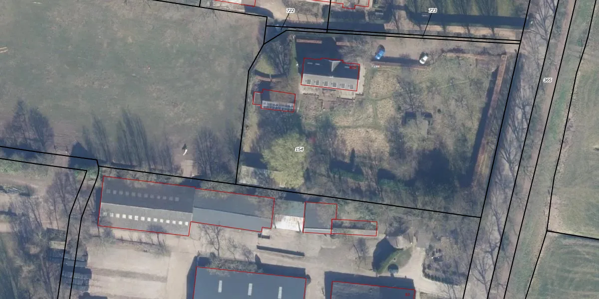
Perceel: ENS00-K-154
KadastraleKaart.com kan meer dan je denktOntdek meer ›
Filter op bestemming 50+ datasets Eigendomsdata in één klik Percelen CRM
4.725 m2 - 278 m
Eigenaar opvragen
ENS00-K-154 (Eemnes)
- 3755 PB
KxQgU Vit1KmZ8Jhe9 SlZydUpgrade naar KadastraleKaart Pro
Verkoopprijs opvragen
Bekijk op Street View
Download DWG/DXF/Excel
3rvemLbvUpgrade naar KadastraleKaart Pro
MIWCM6K0tUeh Upgrade naar KadastraleKaart Pro
ragm7 ZjUpgrade naar KadastraleKaart Pro
6ap5mTVlUpgrade naar KadastraleKaart Pro
NtiyvM0pxtoUpgrade naar KadastraleKaart Pro
RO hdeLnIUpgrade naar KadastraleKaart Pro
huSlSVbPeLrodTUpgrade naar KadastraleKaart Pro
sDkVeEDO kiwKk fCR GUpgrade naar KadastraleKaart Pro
3 jJKIquWvAzhUpgrade naar KadastraleKaart Pro
a EOLY1YUpgrade naar KadastraleKaart Pro
20/11/2003

Percelen
Gebruik de zoekbalk of klik op een perceel om informatie over het perceel te bekijken.