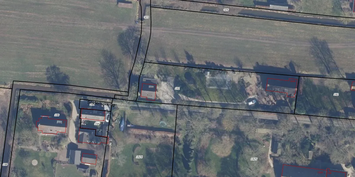
Perceel: ENS00-L-191

Adres bij perceel

Perceeloppervlakte & perceelomtrek

1.935 m2 - 222 m

Eigenaar van het perceel

Eigenaar opvragen

Kadastrale aanduiding

ENS00-L-191 (Eemnes)

Postcode in perceel

    3755 DG

Type eigenaar

0cJfCSuXC 4gCj2avBKrXqN4 7xUpgrade naar KadastraleKaart Pro

Google Street View

Bekijk op Street View

Download

Download DWG/DXF/Excel

Gerelateerde percelen

8GCrTSWutKJwdWKnfc7xbUpgrade naar KadastraleKaart Pro

Bebouwd/onbebouwd/water/groen

Cv hUKMoQO xls9VY Upgrade naar KadastraleKaart Pro
Administratieve eenheden
FUmtvHv C7KB3 v8Yy8VUpgrade naar KadastraleKaart Pro

Appartementsrechten

k 0fXKBqbQjz44wcivUpgrade naar KadastraleKaart Pro

Vergunningverlenende instanties

Xs23CNBK6LNtqcbn3 53Upgrade naar KadastraleKaart Pro

Bedekking (BGT)

BjcCu421Y4Upgrade naar KadastraleKaart Pro

Publiekrechtelijke beperkingen

R2N0d LrKJfR QXlWBs4xBQUpgrade naar KadastraleKaart Pro

Grensnauwkeurigheid

WjJCeoYu3Upgrade naar KadastraleKaart Pro

Coördinaten hoekpunten perceel

GG mYAKxc3b QWbvCXHUpgrade naar KadastraleKaart Pro

Hoogteligging

O bbJ8JrSt7 qGrRw2R Upgrade naar KadastraleKaart Pro

Laatst gewijzigd

16/07/2020

Kadastrale kaart met maatvoering 59,95
Kadastrale kaart pakket 28,95

Percelen

Gebruik de zoekbalk of klik op een perceel om informatie over het perceel te bekijken.
Locatie
Meten
Lagen
Download