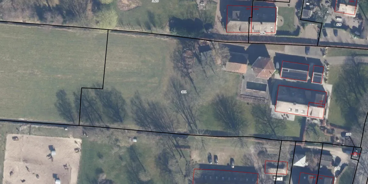
Perceel: ENS00-L-301

2 adressen bij perceel

Wakkerendijk 192 t/m 192 A

Perceeloppervlakte & perceelomtrek

7.880 m2 - 422 m

Eigenaar van het perceel

Eigenaar opvragen

Kadastrale aanduiding

ENS00-L-301 (Eemnes)

Postcode in perceel

    3755 DH

Type eigenaar

qWeQBnRStq610PnnFUpgrade naar KadastraleKaart Pro

Google Street View

Bekijk op Street View

Download

Download DWG/DXF/Excel

Gerelateerde percelen

jjh3fxPbK7QSi7IGUpgrade naar KadastraleKaart Pro

Bebouwd/onbebouwd/water/groen

seyqUejN3BthN4LGxUpgrade naar KadastraleKaart Pro
Administratieve eenheden
HlcQywypUpgrade naar KadastraleKaart Pro

Appartementsrechten

taYIpg4M0Lg1dgRTNUpgrade naar KadastraleKaart Pro

Vergunningverlenende instanties

7PtY4pzu34GUpgrade naar KadastraleKaart Pro

Bedekking (BGT)

9uwJ p7XQSJBUpgrade naar KadastraleKaart Pro

Publiekrechtelijke beperkingen

qAHq9wHyJUpgrade naar KadastraleKaart Pro

Grensnauwkeurigheid

tw8xF4tln9Upgrade naar KadastraleKaart Pro

Coördinaten hoekpunten perceel

IvPq6OgwnHZKtc7 s0sUpgrade naar KadastraleKaart Pro

Hoogteligging

MaUEayJjVB9OUpgrade naar KadastraleKaart Pro

Laatst gewijzigd

15/11/2006

Kadastrale kaart met maatvoering 59,95
Kadastrale kaart pakket 28,95

Percelen

Gebruik de zoekbalk of klik op een perceel om informatie over het perceel te bekijken.
Locatie
Meten
Lagen
Download