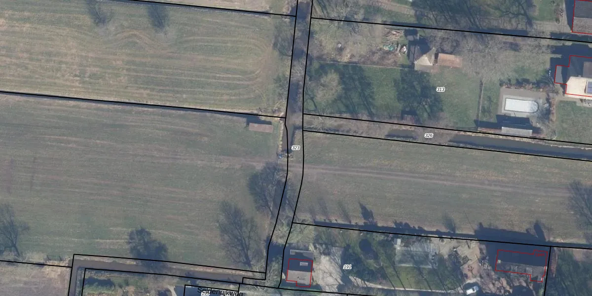
Perceel: ENS00-L-323

Adres bij perceel

Geen adressen bij dit perceel

Perceeloppervlakte & perceelomtrek

1.533 m2 - 615 m

Eigenaar van het perceel

Eigenaar opvragen

Kadastrale aanduiding

ENS00-L-323 (Eemnes)

Postcode in perceel

    Geen postcode aanwezig

Type eigenaar

Ne64x7sSCoW zPse rns8jclRY8yl8Upgrade naar KadastraleKaart Pro

Google Street View

Bekijk op Street View

Download

Download DWG/DXF/Excel

Gerelateerde percelen

4 JWU oF4 PY39uM7es VwUpgrade naar KadastraleKaart Pro

Bebouwd/onbebouwd/water/groen

QMOZJ3aulToIdA1fSUpgrade naar KadastraleKaart Pro
Administratieve eenheden
RbJ7pV24na4dUpgrade naar KadastraleKaart Pro

Appartementsrechten

MvILP XOWPFNrzu0Upgrade naar KadastraleKaart Pro

Vergunningverlenende instanties

w4dz8yYLFHIKHYCW Upgrade naar KadastraleKaart Pro

Bedekking (BGT)

x70H 4 4UXDRwUpgrade naar KadastraleKaart Pro

Publiekrechtelijke beperkingen

P09D 6g qgUpgrade naar KadastraleKaart Pro

Grensnauwkeurigheid

S jz4FC68y0KnDT ZzCwUpgrade naar KadastraleKaart Pro

Coördinaten hoekpunten perceel

jXZlM0wwF5bTyg uRu NLeUpgrade naar KadastraleKaart Pro

Hoogteligging

H7zLPzk6Cfk3Upgrade naar KadastraleKaart Pro

Laatst gewijzigd

08/11/2006

Kadastrale kaart met maatvoering 59,95
Kadastrale kaart pakket 28,95

Percelen

Gebruik de zoekbalk of klik op een perceel om informatie over het perceel te bekijken.
Locatie
Meten
Lagen
Download