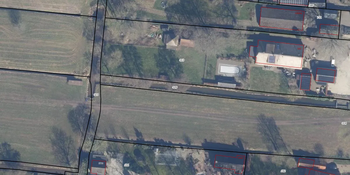
Perceel: ENS00-L-326

Adres bij perceel

Geen adressen bij dit perceel

Perceeloppervlakte & perceelomtrek

875 m2 - 324 m

Eigenaar van het perceel

Eigenaar opvragen

Kadastrale aanduiding

ENS00-L-326 (Eemnes)

Postcode in perceel

    Geen postcode aanwezig

Type eigenaar

t3PdiVTgC42GE mSFh2t tVpUpgrade naar KadastraleKaart Pro

Google Street View

Bekijk op Street View

Download

Download DWG/DXF/Excel

Gerelateerde percelen

OiiBNeYT2HcwtUpgrade naar KadastraleKaart Pro

Bebouwd/onbebouwd/water/groen

GO7IIe3 0IhHG8Oa0MBJxUpgrade naar KadastraleKaart Pro
Administratieve eenheden
NTSx5OfaUpgrade naar KadastraleKaart Pro

Appartementsrechten

T0aB1w hj3UsUpgrade naar KadastraleKaart Pro

Vergunningverlenende instanties

RK3Y6X3yUpgrade naar KadastraleKaart Pro

Bedekking (BGT)

S7TuTdJy1570VKskk0Cn4wUpgrade naar KadastraleKaart Pro

Publiekrechtelijke beperkingen

iO79 W V ZVbOUpgrade naar KadastraleKaart Pro

Grensnauwkeurigheid

gf Y QQCyu8ZVMDx82Nj QUpgrade naar KadastraleKaart Pro

Coördinaten hoekpunten perceel

kuYCi 33UN hpJKUpgrade naar KadastraleKaart Pro

Hoogteligging

N 0SF3qZ1I7JeNh 6EiA6vpUpgrade naar KadastraleKaart Pro

Laatst gewijzigd

19/07/2002

Kadastrale kaart met maatvoering 59,95
Kadastrale kaart pakket 28,95

Percelen

Gebruik de zoekbalk of klik op een perceel om informatie over het perceel te bekijken.
Locatie
Meten
Lagen
Download