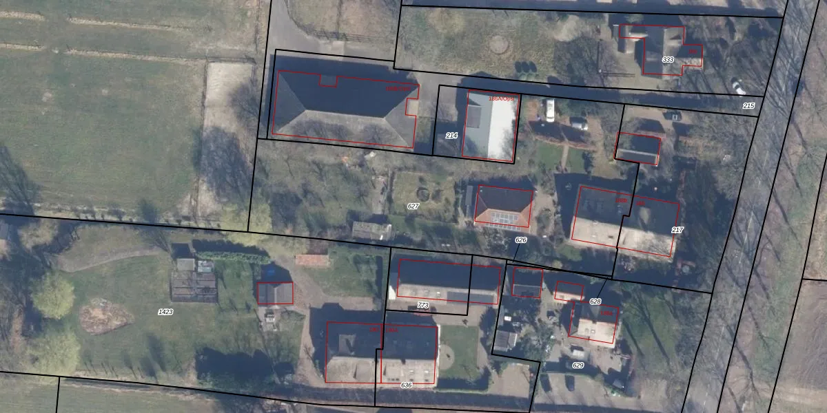
Perceel: ENS00-L-627

Adres bij perceel

Perceeloppervlakte & perceelomtrek

2.550 m2 - 266 m

Eigenaar van het perceel

Eigenaar opvragen

Kadastrale aanduiding

ENS00-L-627 (Eemnes)

Postcode in perceel

    3755 DH

Type eigenaar

HDh E1dAU7vv WPhlTfSyI0WjTHx1oUUpgrade naar KadastraleKaart Pro

Google Street View

Bekijk op Street View

Download

Download DWG/DXF/Excel

Gerelateerde percelen

IPNK35TObSREo qRUpgrade naar KadastraleKaart Pro

Bebouwd/onbebouwd/water/groen

jGziMu08 1kvol9qt VCUpgrade naar KadastraleKaart Pro
Administratieve eenheden
t2Jms8FYIsxkKDf8lfdcXUpgrade naar KadastraleKaart Pro

Appartementsrechten

xgFDu2cF Pb5PUpgrade naar KadastraleKaart Pro

Vergunningverlenende instanties

ae gI8aSIIEa48uNZrEUpgrade naar KadastraleKaart Pro

Bedekking (BGT)

w46RYrLoNCPe6VUpgrade naar KadastraleKaart Pro

Publiekrechtelijke beperkingen

Brxg0aowZ Upgrade naar KadastraleKaart Pro

Grensnauwkeurigheid

l3KFH Ij t 4jUbd Upgrade naar KadastraleKaart Pro

Coördinaten hoekpunten perceel

yiFP1XAhIJdKJoPf2X8csb Upgrade naar KadastraleKaart Pro

Hoogteligging

2 OoJ hu9ioUpgrade naar KadastraleKaart Pro

Laatst gewijzigd

09/07/2012

Kadastrale kaart met maatvoering 59,95
Kadastrale kaart pakket 28,95

Percelen

Gebruik de zoekbalk of klik op een perceel om informatie over het perceel te bekijken.
Locatie
Meten
Lagen
Download