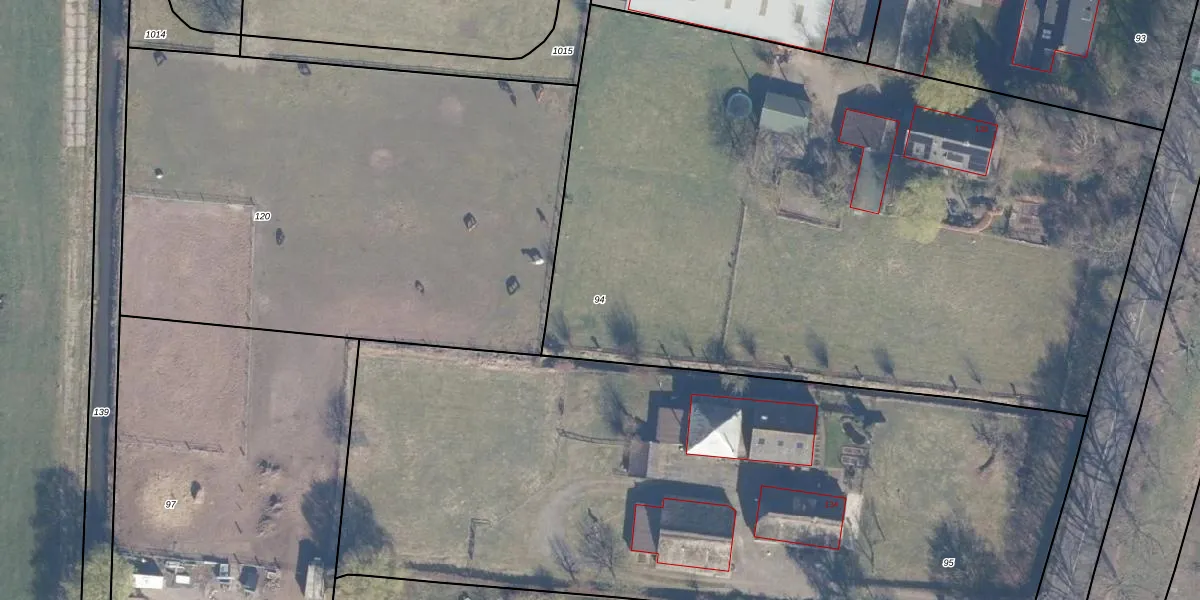
Perceel: ENS00-L-94

Adres bij perceel

Perceeloppervlakte & perceelomtrek

5.100 m2 - 298 m

Eigenaar van het perceel

Eigenaar opvragen

Kadastrale aanduiding

ENS00-L-94 (Eemnes)

Postcode in perceel

    3755 DG

Type eigenaar

jwGlb0URvT7bpc3Pzud6nUpgrade naar KadastraleKaart Pro

Google Street View

Bekijk op Street View

Download

Download DWG/DXF/Excel

Gerelateerde percelen

OKFF5 RAYQOI2 OOwOSNF2Upgrade naar KadastraleKaart Pro

Bebouwd/onbebouwd/water/groen

b5ho 2FASvBGwQjVsSry9Upgrade naar KadastraleKaart Pro
Administratieve eenheden
gjkIN4J1Upgrade naar KadastraleKaart Pro

Appartementsrechten

iMQLMh09vKUpgrade naar KadastraleKaart Pro

Vergunningverlenende instanties

0 1 nvcM TRWG ZUpgrade naar KadastraleKaart Pro

Bedekking (BGT)

zx pj BFuKVKUpgrade naar KadastraleKaart Pro

Publiekrechtelijke beperkingen

QiWBXeR wlVJOtdt1HUpgrade naar KadastraleKaart Pro

Grensnauwkeurigheid

KcEvCyZU2sx5aQA m1aKsvUpgrade naar KadastraleKaart Pro

Coördinaten hoekpunten perceel

nqRwlgMIgHM371Z1IYAUpgrade naar KadastraleKaart Pro

Hoogteligging

MTdcsjqW7f2CUpgrade naar KadastraleKaart Pro

Laatst gewijzigd

24/11/2003

Kadastrale kaart met maatvoering 59,95
Kadastrale kaart pakket 28,95

Percelen

Gebruik de zoekbalk of klik op een perceel om informatie over het perceel te bekijken.
Locatie
Meten
Lagen
Download