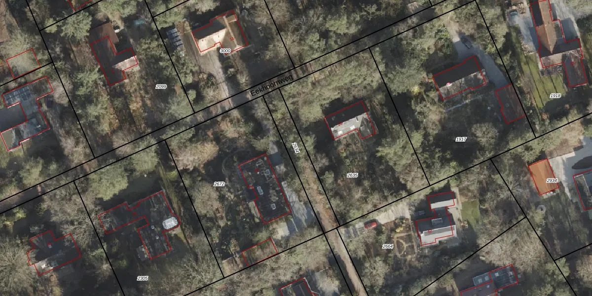
Perceel: EPE00-A-2634
KadastraleKaart.com kan meer dan je denktOntdek meer ›
Filter op bestemming 50+ datasets Eigendomsdata in één klik Percelen CRM
Geen adressen bij dit perceel
306 m2 - 114 m
Eigenaar opvragen
EPE00-A-2634 (Epe en Oene)
- Geen postcode aanwezig
EeExMag5QV8 O3 4rSEOqUUpgrade naar KadastraleKaart Pro
Bekijk op Street View
Download DWG/DXF/Excel
il kC QsLUpgrade naar KadastraleKaart Pro
ZxP41jXO 33EHn NAUpgrade naar KadastraleKaart Pro
nbQkAKM73ApJ0rgkYffpHUpgrade naar KadastraleKaart Pro
hjKRe5q qWiCaslSK1vUpgrade naar KadastraleKaart Pro
cNgK8RBpIrvwo3a8kUpgrade naar KadastraleKaart Pro
RpG29r 7EZOUphlZnWtUpgrade naar KadastraleKaart Pro
0oVOKk6ObwOJ02SUpgrade naar KadastraleKaart Pro
9dTkTO0yzV0 SDED75 sUpgrade naar KadastraleKaart Pro
2mco2PN5HKOUpgrade naar KadastraleKaart Pro
897Hnw RQUpgrade naar KadastraleKaart Pro
13/04/2000

Percelen
Gebruik de zoekbalk of klik op een perceel om informatie over het perceel te bekijken.