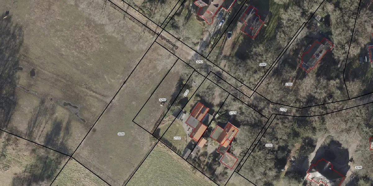
Perceel: EPE00-A-2720
KadastraleKaart.com kan meer dan je denktOntdek meer ›
Filter op bestemming 50+ datasets Eigendomsdata in één klik Percelen CRM
Geen adressen bij dit perceel
245 m2 - 96 m
Eigenaar opvragen
EPE00-A-2720 (Epe en Oene)
- Geen postcode aanwezig
M 8tFcO1AgMvuqdqlSl6FUpgrade naar KadastraleKaart Pro
Bekijk op Street View
Download DWG/DXF/Excel
5VmrUjpLpUa1gVUpgrade naar KadastraleKaart Pro
wYyHUh nmN umUUpgrade naar KadastraleKaart Pro
TS1hvppDUpgrade naar KadastraleKaart Pro
0XUD0JYgrhfzIUpgrade naar KadastraleKaart Pro
9TwjVg WVzcG1Upgrade naar KadastraleKaart Pro
TatF8Y9B3Upgrade naar KadastraleKaart Pro
nEMPtMusUpgrade naar KadastraleKaart Pro
45uagt5guv0n9jT2qzUpgrade naar KadastraleKaart Pro
hb KKSv Upgrade naar KadastraleKaart Pro
8T4TBCNYPlVWXr4a 0BUpgrade naar KadastraleKaart Pro
22/12/2022

Percelen
Gebruik de zoekbalk of klik op een perceel om informatie over het perceel te bekijken.