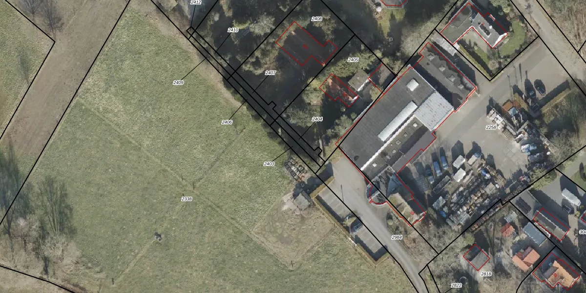
Perceel: EPE00-B-2403
KadastraleKaart.com kan meer dan je denktOntdek meer ›
Filter op bestemming 50+ datasets Eigendomsdata in één klik Percelen CRM
Geen adressen bij dit perceel
60 m2 - 50 m
Eigenaar opvragen
EPE00-B-2403 (Epe en Oene)
- Geen postcode aanwezig
Dh7oWo7 Oj 8a5a71VCA3CP12 nD oUpgrade naar KadastraleKaart Pro
Bekijk op Street View
Download DWG/DXF/Excel
H3SbTeoiECdl NUpgrade naar KadastraleKaart Pro
xb Mr CCUpgrade naar KadastraleKaart Pro
ENWP2ccvTUpgrade naar KadastraleKaart Pro
Yk qG87QASyjHEGDw8Upgrade naar KadastraleKaart Pro
NZXwEf9auUUpgrade naar KadastraleKaart Pro
15uAh9qiJI CFjyI8YpTUpgrade naar KadastraleKaart Pro
9twL7X1Od8PEUpgrade naar KadastraleKaart Pro
qZ 79PN6V4Ky kAAL75zkFUpgrade naar KadastraleKaart Pro
IO grYasV2EJEQUpgrade naar KadastraleKaart Pro
QJFPzr gUpgrade naar KadastraleKaart Pro
20/04/2000

Percelen
Gebruik de zoekbalk of klik op een perceel om informatie over het perceel te bekijken.