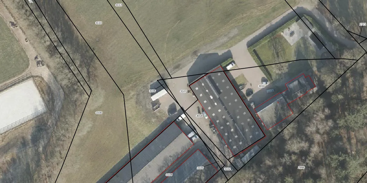
Perceel: EPE00-B-3107
Geen adressen bij dit perceel
210 m2 - 77 m
Eigenaar opvragen
EPE00-B-3107 (Epe en Oene)
- Geen postcode aanwezig
MYiPhvD l7hq7h tXhO4LUpgrade naar KadastraleKaart Pro
Bekijk op Street View
Download DWG/DXF/Excel
5K6OA7 8dHJiKq5a2ZUpgrade naar KadastraleKaart Pro
1fX7sSsceUpgrade naar KadastraleKaart Pro
TIBJ0Vn0YaN5Upgrade naar KadastraleKaart Pro
hfnuRVIHbBCQ GUpgrade naar KadastraleKaart Pro
nZ5Q 70UyUpgrade naar KadastraleKaart Pro
IT3lt3 NXhFUpgrade naar KadastraleKaart Pro
N7FE8rN413N VJdBUpgrade naar KadastraleKaart Pro
8WqS rMP nHUWylH8gVUpgrade naar KadastraleKaart Pro
3dOKWWtsUpgrade naar KadastraleKaart Pro
Bxj3mX2N9Upgrade naar KadastraleKaart Pro
16/10/2024

Percelen
Gebruik de zoekbalk of klik op een perceel om informatie over het perceel te bekijken.