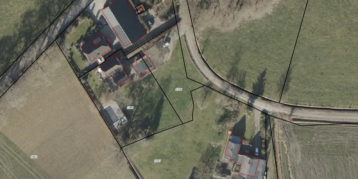
Perceel: EPE00-C-1536
KadastraleKaart.com kan meer dan je denktOntdek meer ›
Filter op bestemming 50+ datasets Eigendomsdata in één klik Percelen CRM
Geen adressen bij dit perceel
900 m2 - 163 m
Eigenaar opvragen
EPE00-C-1536 (Epe en Oene)
- Geen postcode aanwezig
FlbYjRYx0n2RSD7 rgT4MDnzO nHkUpgrade naar KadastraleKaart Pro
Bekijk op Street View
Download DWG/DXF/Excel
cbAOkbV3v UxpT4D SUpgrade naar KadastraleKaart Pro
8 e G RPgpUxEcuWdlekFUpgrade naar KadastraleKaart Pro
foFvYt5 Upgrade naar KadastraleKaart Pro
Swe8 5SG4r3qbUpgrade naar KadastraleKaart Pro
XPJHFTh0rA EnUpgrade naar KadastraleKaart Pro
ZkMA cg 2q9f yn69nUpgrade naar KadastraleKaart Pro
7oqvQGjtRgM k xkdGpMUpgrade naar KadastraleKaart Pro
M6MEXpajm HeQEq YYUpgrade naar KadastraleKaart Pro
3nkA8i7hg6RV2uGm0bZS8EUpgrade naar KadastraleKaart Pro
ssoURwh2e 7BEGBMnbUpgrade naar KadastraleKaart Pro
11/04/2000

Percelen
Gebruik de zoekbalk of klik op een perceel om informatie over het perceel te bekijken.