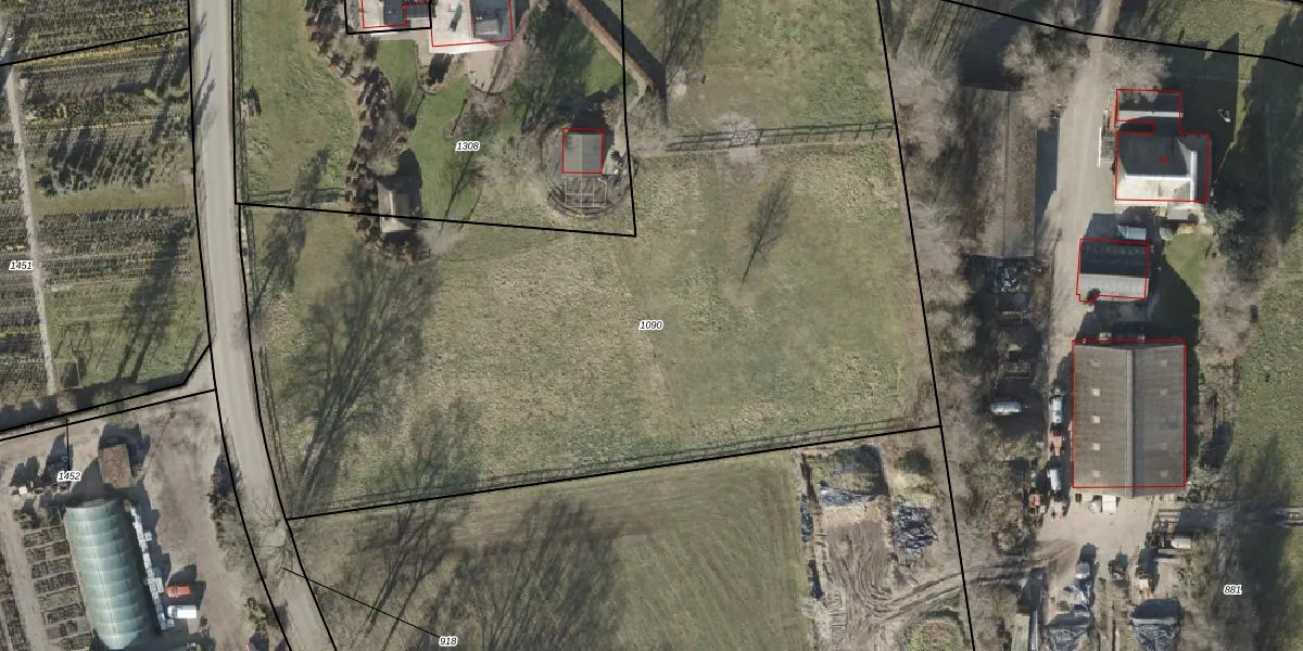
Perceel: EPE00-D-1090
KadastraleKaart.com kan meer dan je denktOntdek meer ›
Filter op bestemming 50+ datasets Eigendomsdata in één klik Percelen CRM
Geen adressen bij dit perceel
5.620 m2 - 380 m
Eigenaar opvragen
EPE00-D-1090 (Epe en Oene)
- Geen postcode aanwezig
Gs7DOyxYF4C6 mUI XCUpgrade naar KadastraleKaart Pro
Bekijk op Street View
Download DWG/DXF/Excel
UrfOOAfVHCKx nJjXYeUpgrade naar KadastraleKaart Pro
qJXjgfZ F9 LWIeS 57 2o0Upgrade naar KadastraleKaart Pro
H f KuXbUpgrade naar KadastraleKaart Pro
eKrMDA9J3rVhlEUpgrade naar KadastraleKaart Pro
kITCaP7J Lad P ReEUpgrade naar KadastraleKaart Pro
mfyZXBEJWrP PSb9YnxdUpgrade naar KadastraleKaart Pro
2zd7QJVjOUpgrade naar KadastraleKaart Pro
bN8GmsPVL9x G exWywUpgrade naar KadastraleKaart Pro
4eYjEvXdz2MDV1jPtmOPSfjUpgrade naar KadastraleKaart Pro
L2tRQWbI16G 1Upgrade naar KadastraleKaart Pro
15/09/2004

Percelen
Gebruik de zoekbalk of klik op een perceel om informatie over het perceel te bekijken.