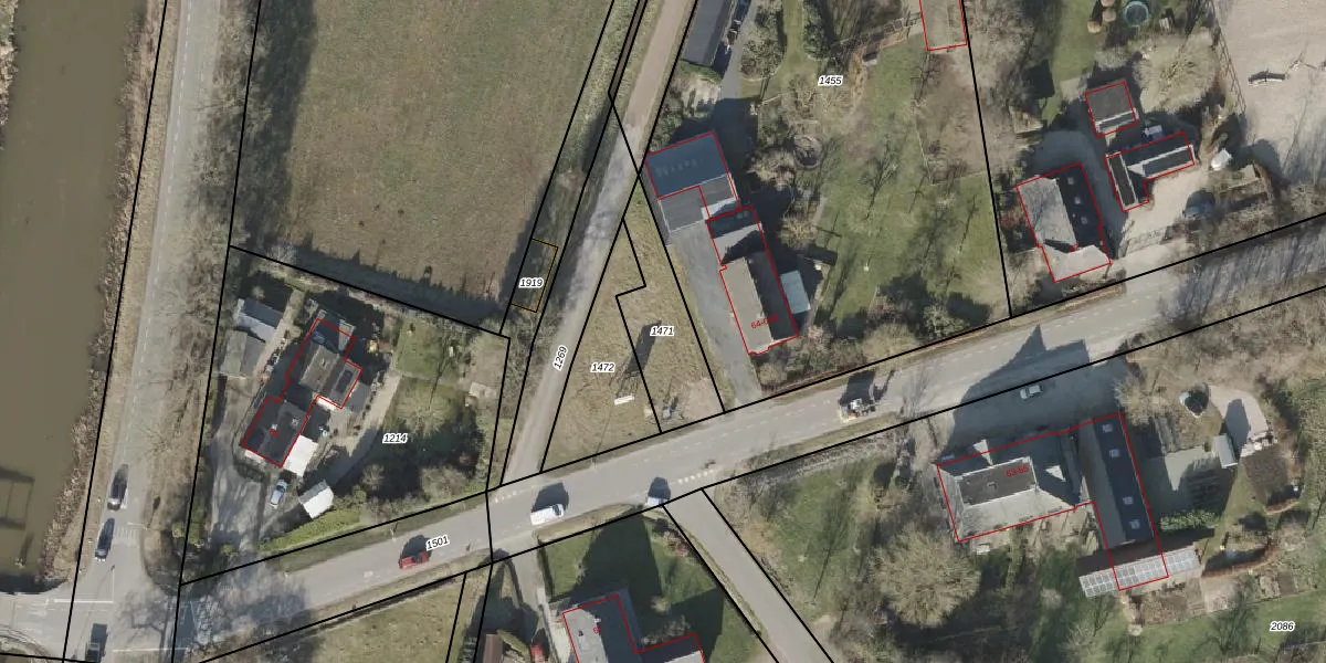
Perceel: EPE00-D-1471
KadastraleKaart.com kan meer dan je denktOntdek meer ›
Filter op bestemming 50+ datasets Eigendomsdata in één klik Percelen CRM
253 m2 - 92 m
Eigenaar opvragen
EPE00-D-1471 (Epe en Oene)
- 8167 LJ
RCYEqVpGEr8yCsHRrgACTS IzltjGmJUpgrade naar KadastraleKaart Pro
Bekijk op Street View
Download DWG/DXF/Excel
1IL9XATH2Z2 Z5kIb5ctw3Upgrade naar KadastraleKaart Pro
JH yDFRFNmWN mjccUpgrade naar KadastraleKaart Pro
Yn kl VCuD4ldl Upgrade naar KadastraleKaart Pro
SkcwmlcYz 3asdUpgrade naar KadastraleKaart Pro
SMLrmXeOiCQUpgrade naar KadastraleKaart Pro
PVIgB7LM7 Vg5kBQUpgrade naar KadastraleKaart Pro
z4rUDdIZg1GJLmqZMXrureUpgrade naar KadastraleKaart Pro
iwdJbGXQo4 BBtkYUETtPe5Upgrade naar KadastraleKaart Pro
Pb ln gnUpgrade naar KadastraleKaart Pro
hG418HjdqBtDOUpgrade naar KadastraleKaart Pro
25/07/2024

Percelen
Gebruik de zoekbalk of klik op een perceel om informatie over het perceel te bekijken.