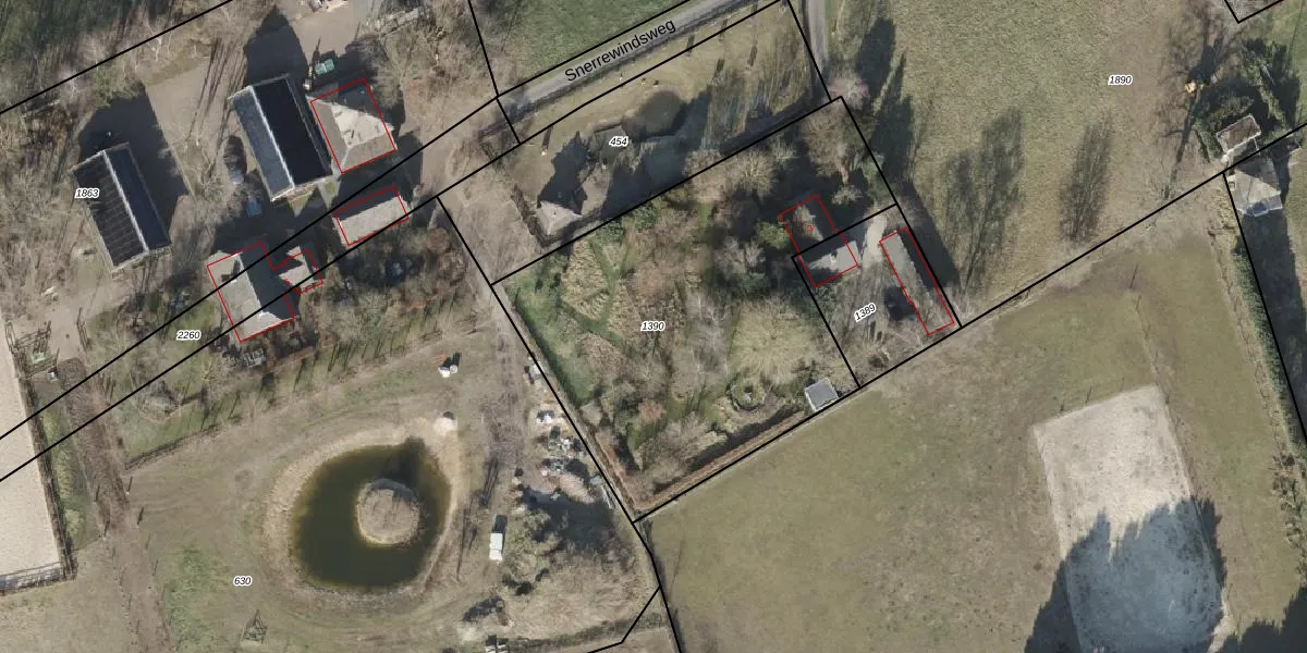
Perceel: EPE00-E-1390
KadastraleKaart.com kan meer dan je denktOntdek meer ›
Filter op bestemming 50+ datasets Eigendomsdata in één klik Percelen CRM
2.150 m2 - 203 m
Eigenaar opvragen
EPE00-E-1390 (Epe en Oene)
- 8167 LM
kR QhTVhMUB46RXLe5KRkG 2PFUpgrade naar KadastraleKaart Pro
Verkoopprijs opvragen
Bekijk op Street View
Download DWG/DXF/Excel
ukp ti0Z qY8MUpgrade naar KadastraleKaart Pro
L F0Y5eJ49Upgrade naar KadastraleKaart Pro
YxL DtLyIBHnUpgrade naar KadastraleKaart Pro
S6Hf2l pdUpgrade naar KadastraleKaart Pro
92Bkyg5VfLUpgrade naar KadastraleKaart Pro
3VYRLxhAhVqDM8WeikUpgrade naar KadastraleKaart Pro
jpQvouhXG koLfFFoDt 1t4Upgrade naar KadastraleKaart Pro
2jKqKC vuyPR3i7lhGSeCdAUpgrade naar KadastraleKaart Pro
5b3tiNSAAB3hy2y la6sUpgrade naar KadastraleKaart Pro
H3dFjBei0FOwisVSxk31Upgrade naar KadastraleKaart Pro
31/01/2001

Percelen
Gebruik de zoekbalk of klik op een perceel om informatie over het perceel te bekijken.