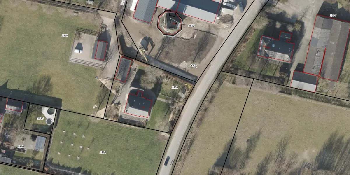
Perceel: EPE00-E-1558
KadastraleKaart.com kan meer dan je denktOntdek meer ›
Filter op bestemming 50+ datasets Eigendomsdata in één klik Percelen CRM
1.450 m2 - 157 m
Eigenaar opvragen
EPE00-E-1558 (Epe en Oene)
- 8167 PJ
BIr1kn69kaP iRc TDfu9tUpgrade naar KadastraleKaart Pro
Verkoopprijs opvragen
Bekijk op Street View
Download DWG/DXF/Excel
dX64vAI E79UFEUpgrade naar KadastraleKaart Pro
9mSoSX A Xd7Upgrade naar KadastraleKaart Pro
ThXGUNiChP92Upgrade naar KadastraleKaart Pro
F6tg9tpIqIaXV8idSocH6TUpgrade naar KadastraleKaart Pro
wARkBmZY wrUpgrade naar KadastraleKaart Pro
UjyKIXmBJbTXu5Upgrade naar KadastraleKaart Pro
QdgFDG1zKUpgrade naar KadastraleKaart Pro
75ApEsgDGdAdeSUpgrade naar KadastraleKaart Pro
DU 4Fgm7E sJSVZPC 65JUpgrade naar KadastraleKaart Pro
fIN oPjWy3woGCdo9iHfHdlUpgrade naar KadastraleKaart Pro
30/08/2012

Percelen
Gebruik de zoekbalk of klik op een perceel om informatie over het perceel te bekijken.