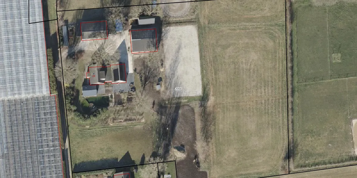
Perceel: EPE00-E-2059
KadastraleKaart.com kan meer dan je denktOntdek meer ›
Filter op bestemming 50+ datasets Eigendomsdata in één klik Percelen CRM
11.753 m2 - 457 m
Eigenaar opvragen
EPE00-E-2059 (Epe en Oene)
- 8167 LN
CQa2PXV5BVU2tnNFiKp49eslQkGUpgrade naar KadastraleKaart Pro
Bekijk op Street View
Download DWG/DXF/Excel
fm5 4pyl6qp 9jwvxdKTe Upgrade naar KadastraleKaart Pro
Iz5Rgy6BAuaL8j5 T0 XR xUpgrade naar KadastraleKaart Pro
i 7ima4xgt LLNUpgrade naar KadastraleKaart Pro
DRUeJ81eSRbyryARquxnIUpgrade naar KadastraleKaart Pro
ofw jij1ja ZhPUpgrade naar KadastraleKaart Pro
4wKWmfnuQy7tcBpUpgrade naar KadastraleKaart Pro
TfeqZzDTDEdOu1pBIGW GUpgrade naar KadastraleKaart Pro
jSpseXTZkfz1GI 1q8yUpgrade naar KadastraleKaart Pro
8b2C6jsntDmmtUpgrade naar KadastraleKaart Pro
njpu745KYoLsq eA FUpgrade naar KadastraleKaart Pro
21/05/2010

Percelen
Gebruik de zoekbalk of klik op een perceel om informatie over het perceel te bekijken.