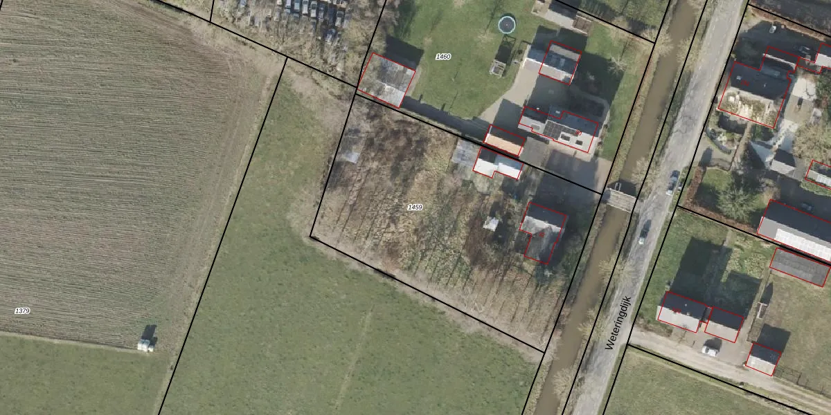
Perceel: EPE00-K-1459
KadastraleKaart.com kan meer dan je denktOntdek meer ›
Filter op bestemming 50+ datasets Eigendomsdata in één klik Percelen CRM
2.450 m2 - 204 m
Eigenaar opvragen
EPE00-K-1459 (Epe en Oene)
- 8166 KS
pAS9 GN EPThj 745Upgrade naar KadastraleKaart Pro
Verkoopprijs opvragen
Bekijk op Street View
Download DWG/DXF/Excel
Z4DAWmV5zr rTbqz814bhhrUpgrade naar KadastraleKaart Pro
CBafJ9wJUpgrade naar KadastraleKaart Pro
eBtwt09Ld4Rr7GeW UwUpgrade naar KadastraleKaart Pro
4dCjTs 8c7 uc0NzUpgrade naar KadastraleKaart Pro
SiQ8 3tHyH KTJge 9kSUpgrade naar KadastraleKaart Pro
0Uhlns gF52M4VH8olCUpgrade naar KadastraleKaart Pro
hZd8g8UiDyyQ22oMStkNWUpgrade naar KadastraleKaart Pro
qJrsobByq lrJInUpgrade naar KadastraleKaart Pro
n80VaH5U8R92mtb qwWdUpgrade naar KadastraleKaart Pro
hdxM82mmSoYMiLwjUpgrade naar KadastraleKaart Pro
02/09/2002

Percelen
Gebruik de zoekbalk of klik op een perceel om informatie over het perceel te bekijken.