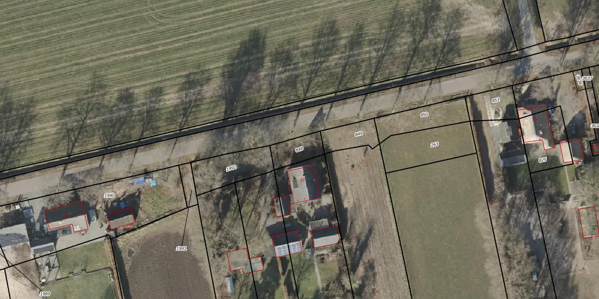
Perceel: EPE00-L-848
KadastraleKaart.com kan meer dan je denktOntdek meer ›
Filter op bestemming 50+ datasets Eigendomsdata in één klik Percelen CRM
Geen adressen bij dit perceel
136 m2 - 51 m
Eigenaar opvragen
EPE00-L-848 (Epe en Oene)
- Geen postcode aanwezig
ItNacpYtNP3bm 5 jG ywiE9uUpgrade naar KadastraleKaart Pro
Bekijk op Street View
Download DWG/DXF/Excel
PUizXii htC6uV 2Upgrade naar KadastraleKaart Pro
jYL EzKBAEEVfPuGquWAkUpgrade naar KadastraleKaart Pro
vLLC wi5Upgrade naar KadastraleKaart Pro
ft hPEQ4UBOlF5OJ457NrUpgrade naar KadastraleKaart Pro
HAqWQilT STyBUpgrade naar KadastraleKaart Pro
ioLNFyC9 Upgrade naar KadastraleKaart Pro
7LSeoZmJTtXXN OUdUpgrade naar KadastraleKaart Pro
J ujimn riUpgrade naar KadastraleKaart Pro
5rCKNNimV 2Bxq7kUpgrade naar KadastraleKaart Pro
qBtBlH4wbRhBCUpgrade naar KadastraleKaart Pro
26/04/2000

Percelen
Gebruik de zoekbalk of klik op een perceel om informatie over het perceel te bekijken.