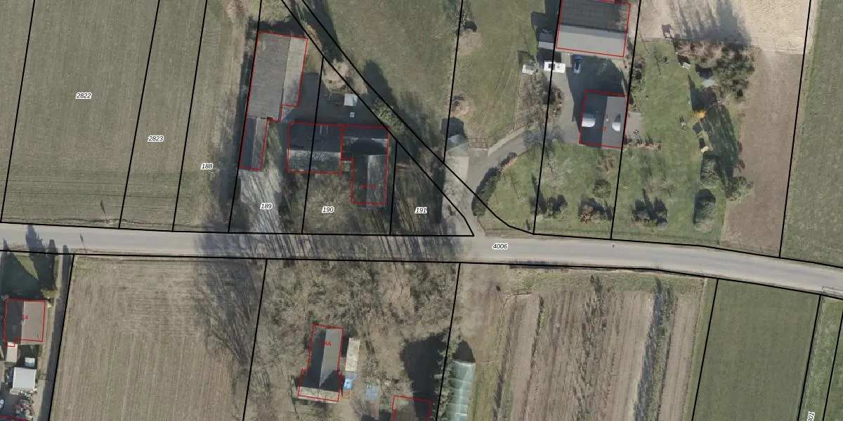
Perceel: EPE00-M-191
KadastraleKaart.com kan meer dan je denktOntdek meer ›
Filter op bestemming 50+ datasets Eigendomsdata in één klik Percelen CRM
Geen adressen bij dit perceel
187 m2 - 72 m
Eigenaar opvragen
EPE00-M-191 (Epe en Oene)
- Geen postcode aanwezig
iPc8RcgSjCc0yZ LIi94AdTUpgrade naar KadastraleKaart Pro
Bekijk op Street View
Download DWG/DXF/Excel
7rYf WY ePl8OUpgrade naar KadastraleKaart Pro
4MSIK1nRMtZ0Vfwmb4 lmwUpgrade naar KadastraleKaart Pro
O5EP3XsLH fhRcouUpgrade naar KadastraleKaart Pro
z2LWMfKenM3NwV6wUpgrade naar KadastraleKaart Pro
7B RKcIfLcV QJwUjO9t0ScUpgrade naar KadastraleKaart Pro
Vh0ES2 KtLNO tR f 3zsUpgrade naar KadastraleKaart Pro
OGbe5fN3W79QvKPEzTUpgrade naar KadastraleKaart Pro
Z XBmYSK 10Upgrade naar KadastraleKaart Pro
bR7Q7v GoUpgrade naar KadastraleKaart Pro
1wCpjwpaX6Uw55l00dUpgrade naar KadastraleKaart Pro
26/06/2000

Percelen
Gebruik de zoekbalk of klik op een perceel om informatie over het perceel te bekijken.