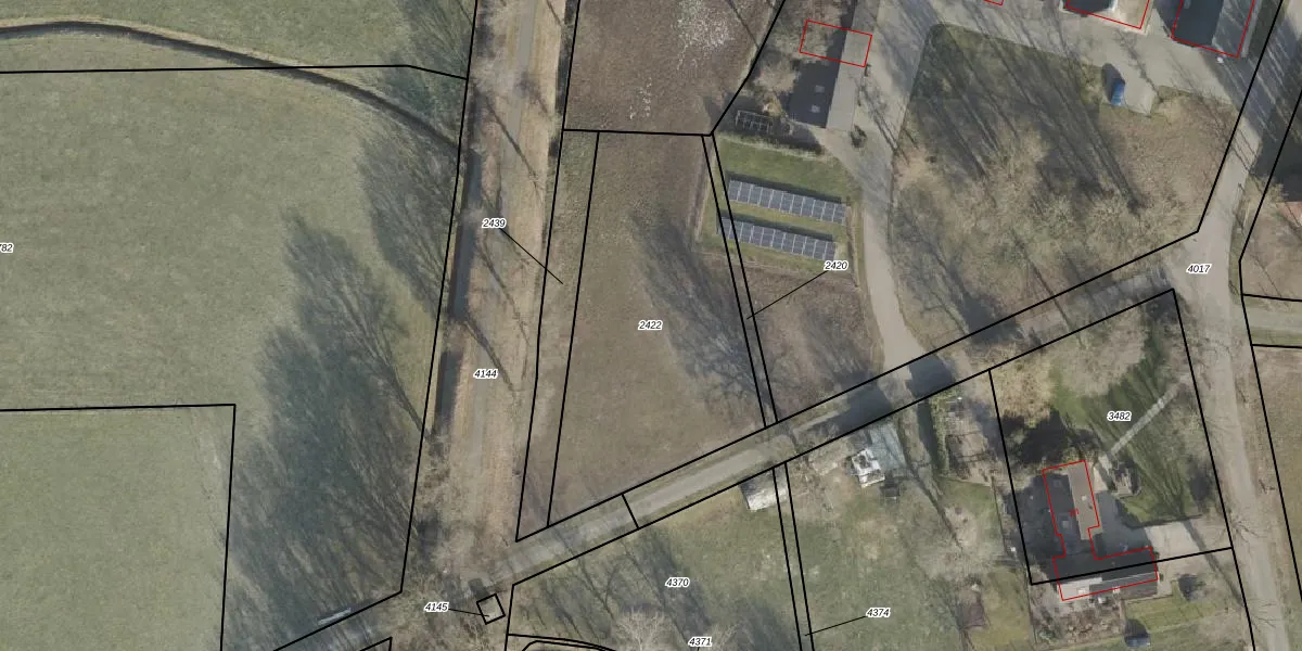
Perceel: EPE00-M-2422
KadastraleKaart.com kan meer dan je denktOntdek meer ›
Filter op bestemming 50+ datasets Eigendomsdata in één klik Percelen CRM
Geen adressen bij dit perceel
1.300 m2 - 160 m
Eigenaar opvragen
EPE00-M-2422 (Epe en Oene)
- Geen postcode aanwezig
2Ybkl4S5KRbpCPbU xSfRd xtUpgrade naar KadastraleKaart Pro
Bekijk op Street View
Download DWG/DXF/Excel
mnQeGeb sxsT9focDAefrUpgrade naar KadastraleKaart Pro
q HA8j8A I akaFUpgrade naar KadastraleKaart Pro
ycNNIBE5J5ehhYDKUpgrade naar KadastraleKaart Pro
gG YildMNBSOZ8 Y sOFBUpgrade naar KadastraleKaart Pro
VyMZ9LnSJUpgrade naar KadastraleKaart Pro
jam3d6UokY680FBWJUpgrade naar KadastraleKaart Pro
7SHGOGxG 9rR xB6Rd26 kUpgrade naar KadastraleKaart Pro
sOxB 8ntBfBTUpgrade naar KadastraleKaart Pro
GGVKu2ruqPvUpgrade naar KadastraleKaart Pro
imcN3x1SUZfUpgrade naar KadastraleKaart Pro
31/08/2000

Percelen
Gebruik de zoekbalk of klik op een perceel om informatie over het perceel te bekijken.