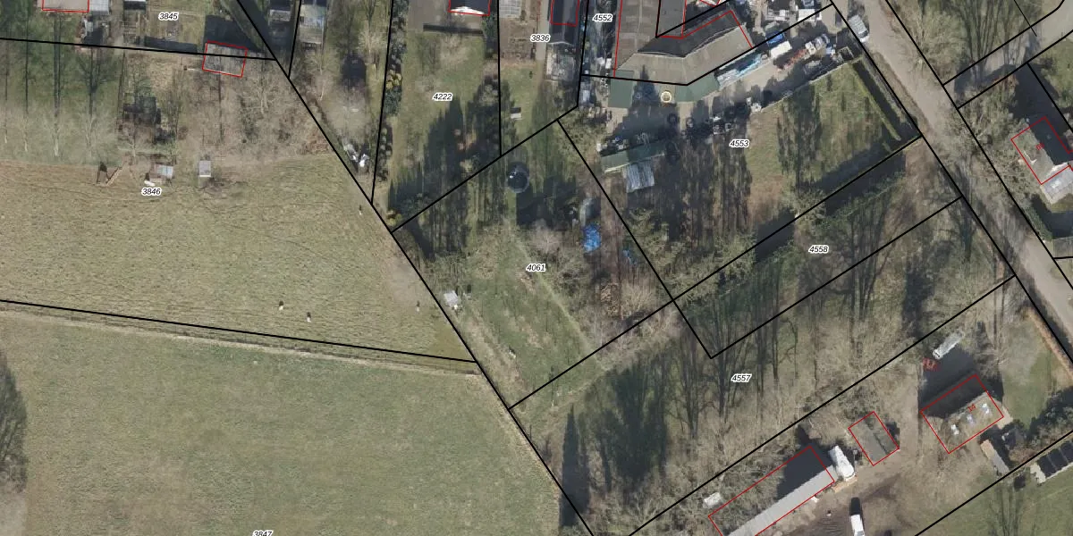
Perceel: EPE00-M-4061
Geen adressen bij dit perceel
1.470 m2 - 154 m
Eigenaar opvragen
EPE00-M-4061 (Epe en Oene)
- Geen postcode aanwezig
KqL4 noLfTSG6r y o lcyufe8VUpgrade naar KadastraleKaart Pro
Bekijk op Street View
Download DWG/DXF/Excel
VHx xRF3VZvJUpgrade naar KadastraleKaart Pro
vim b b8XZ 31j8sWba lPUpgrade naar KadastraleKaart Pro
MOLC2 6vz9UZ3s1rjDrIUpgrade naar KadastraleKaart Pro
C oQ c3CyCx ltWpswKwdkRUpgrade naar KadastraleKaart Pro
lZ19Q7dxvUpgrade naar KadastraleKaart Pro
sjD xqwnRFWUpgrade naar KadastraleKaart Pro
b5 yPivnk hUpgrade naar KadastraleKaart Pro
y D OWYBqea WPcdX3G4Upgrade naar KadastraleKaart Pro
ETKljARPUpgrade naar KadastraleKaart Pro
mfaPYRFU8ZEkT6Upgrade naar KadastraleKaart Pro
24/06/2004

Percelen
Gebruik de zoekbalk of klik op een perceel om informatie over het perceel te bekijken.