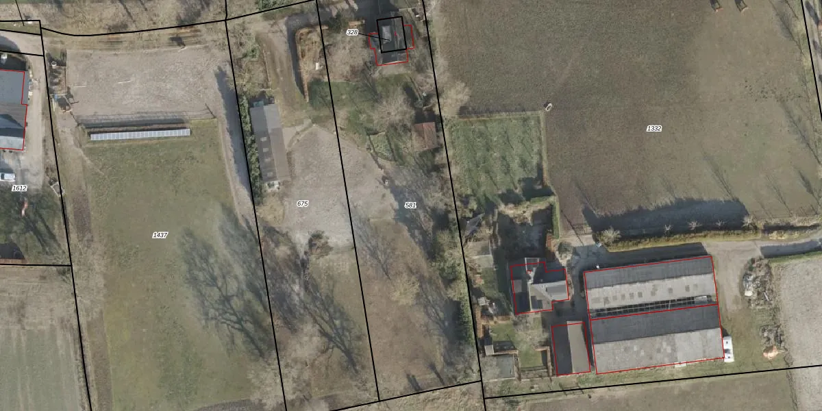
Perceel: EPE00-N-581
KadastraleKaart.com kan meer dan je denktOntdek meer ›
Filter op bestemming 50+ datasets Eigendomsdata in één klik Percelen CRM
Geen adressen bij dit perceel
2.342 m2 - 277 m
Eigenaar opvragen
EPE00-N-581 (Epe en Oene)
- Geen postcode aanwezig
Onfx5ZYtZEh12 E bYxkfTBY1mK1LZHUpgrade naar KadastraleKaart Pro
Bekijk op Street View
Download DWG/DXF/Excel
VJF 3DQ29k1ES1pw14N SgzUpgrade naar KadastraleKaart Pro
iOk3 WH zFqMEX 3pxSUpgrade naar KadastraleKaart Pro
X6GFwJKQybo2ZqyWTb4Upgrade naar KadastraleKaart Pro
n9dqvRhHE4372 Upgrade naar KadastraleKaart Pro
uQVeqSfX1Upgrade naar KadastraleKaart Pro
8PA Ei juc0S36uUpgrade naar KadastraleKaart Pro
lfXlCcv5Upgrade naar KadastraleKaart Pro
ap WjNVrlaBc7 O8U2O4Upgrade naar KadastraleKaart Pro
3Ma EO ZO9IeCy3Lj3dPUMQUpgrade naar KadastraleKaart Pro
NlqTCHQldAC Upgrade naar KadastraleKaart Pro
30/08/2023

Percelen
Gebruik de zoekbalk of klik op een perceel om informatie over het perceel te bekijken.