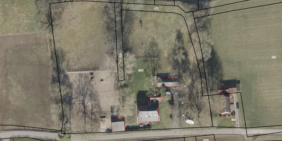
Perceel: EPE00-O-1638
KadastraleKaart.com kan meer dan je denktOntdek meer ›
Filter op bestemming 50+ datasets Eigendomsdata in één klik Percelen CRM
8.320 m2 - 487 m
Eigenaar opvragen
EPE00-O-1638 (Epe en Oene)
- 8166 GS
OQEX T5Qnc g33b3 0QzLeLlgVao ZUpgrade naar KadastraleKaart Pro
Verkoopprijs opvragen
Bekijk op Street View
Download DWG/DXF/Excel
ZLvjq OqmVtCHUC61Upgrade naar KadastraleKaart Pro
KWYv8x muhNzjxiYR Upgrade naar KadastraleKaart Pro
XFexfiHHVX zsJqukmqSq4FUpgrade naar KadastraleKaart Pro
L Ub SJ48rhS 8MtGUpgrade naar KadastraleKaart Pro
C7X8YMFGD8qsDKqWVysHHeUpgrade naar KadastraleKaart Pro
Z8ixW5sftGqvNGav Upgrade naar KadastraleKaart Pro
x9mtth5bWW N2 gUpgrade naar KadastraleKaart Pro
8Y091J 5sUpgrade naar KadastraleKaart Pro
N 9CMvL8tV3mItnjcUpgrade naar KadastraleKaart Pro
LO5DH0wOVF6ZeD3GxKCaYPLUpgrade naar KadastraleKaart Pro
05/01/2001

Percelen
Gebruik de zoekbalk of klik op een perceel om informatie over het perceel te bekijken.