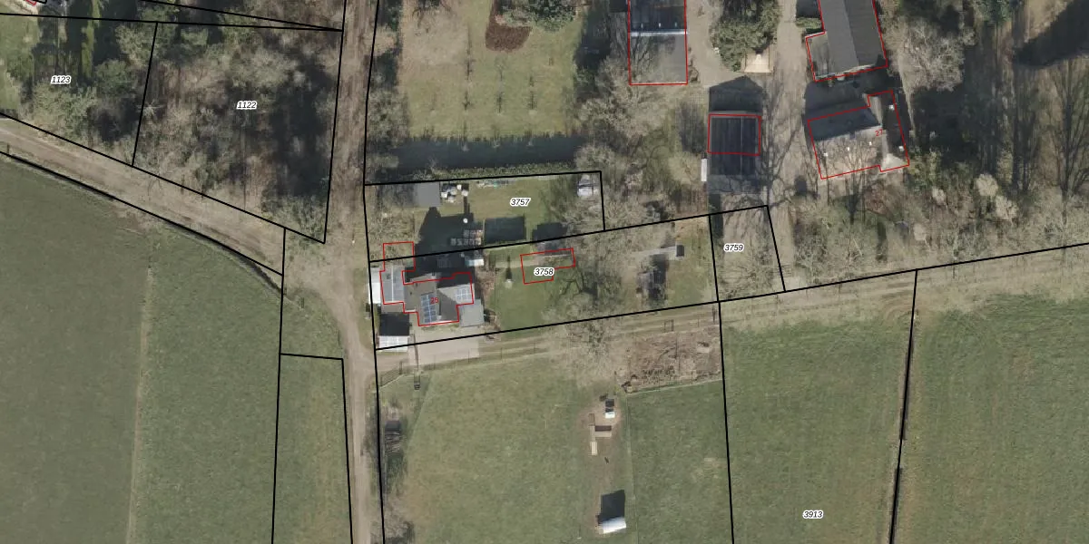
Perceel: EPE00-O-3758
KadastraleKaart.com kan meer dan je denktOntdek meer ›
Filter op bestemming 50+ datasets Eigendomsdata in één klik Percelen CRM
1.005 m2 - 159 m
Eigenaar opvragen
EPE00-O-3758 (Epe en Oene)
- 8166 AA
diMJszA3Q9028DiM XSUpgrade naar KadastraleKaart Pro
Bekijk op Street View
Download DWG/DXF/Excel
acZhgrvreMzL0lARUpgrade naar KadastraleKaart Pro
0cDlgyCbJjh0wkx aBUpgrade naar KadastraleKaart Pro
jQjtM d FxFFkm0dvUpgrade naar KadastraleKaart Pro
8poTMeM3IA zucq1MdUpgrade naar KadastraleKaart Pro
I 9F74TG9bolUpgrade naar KadastraleKaart Pro
uc2eHd6MBSfBJrlUpgrade naar KadastraleKaart Pro
Gk0g0z21qEEN gT9Upgrade naar KadastraleKaart Pro
m6AIFnTS4pD2oqgUpgrade naar KadastraleKaart Pro
7f ON0 HBUpgrade naar KadastraleKaart Pro
6Ki lO3VPUOUpgrade naar KadastraleKaart Pro
21/03/2016

Percelen
Gebruik de zoekbalk of klik op een perceel om informatie over het perceel te bekijken.