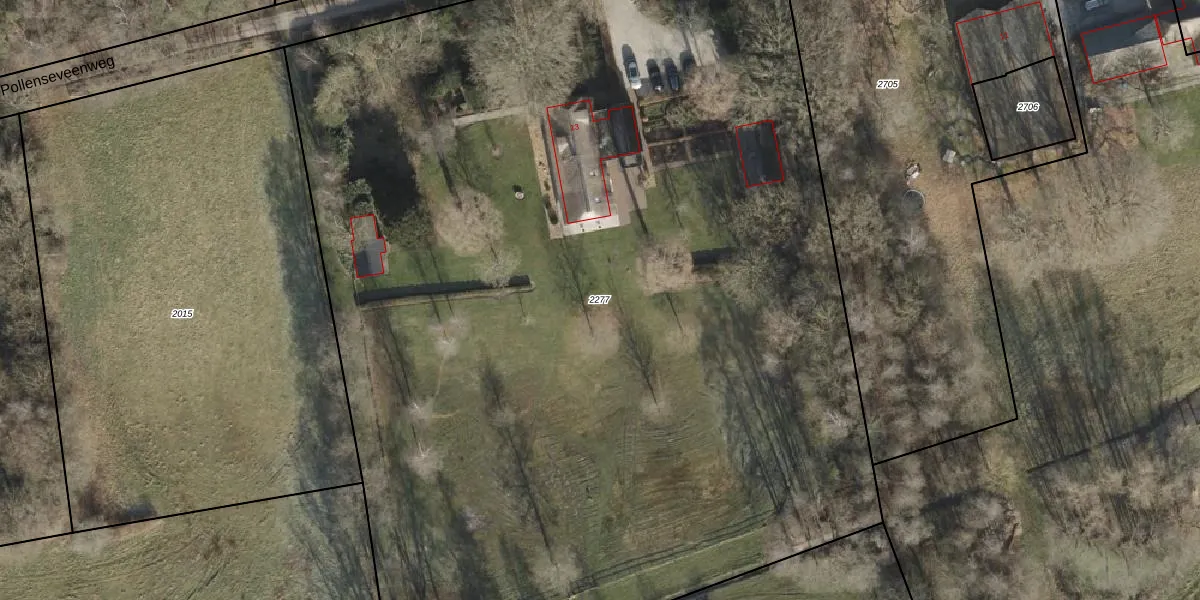
Perceel: EPE00-P-2277
8.775 m2 - 385 m
Eigenaar opvragen
EPE00-P-2277 (Epe en Oene)
- 8166 HT
L3yUot5tV6uxc2XUfk38YUpgrade naar KadastraleKaart Pro
Verkoopprijs opvragen
Bekijk op Street View
Download DWG/DXF/Excel
Y8QZBHo VJmlMGYoUpgrade naar KadastraleKaart Pro
WxWu4J4 GBcsQ sUpgrade naar KadastraleKaart Pro
nzI38YyJAV4XHf06EUpgrade naar KadastraleKaart Pro
w O7 7GUJZ2HUpgrade naar KadastraleKaart Pro
aDQR TjLdaN Upgrade naar KadastraleKaart Pro
BAtuemL56Y5Fw8Q6dUpgrade naar KadastraleKaart Pro
83NrDuXHUpgrade naar KadastraleKaart Pro
QtAc9Gj0 2Upgrade naar KadastraleKaart Pro
2ceSgekRKVUpgrade naar KadastraleKaart Pro
ma0ihg7znT2l5X0cOUTeUpgrade naar KadastraleKaart Pro
29/08/2001

Percelen
Gebruik de zoekbalk of klik op een perceel om informatie over het perceel te bekijken.