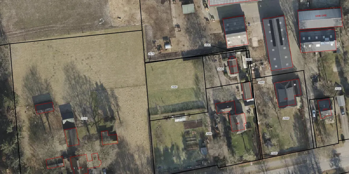
Perceel: EPE00-P-2680
Geen adressen bij dit perceel
1.090 m2 - 133 m
Eigenaar opvragen
EPE00-P-2680 (Epe en Oene)
- Geen postcode aanwezig
Gnn m7kom9Ub51wIDUpgrade naar KadastraleKaart Pro
Bekijk op Street View
Download DWG/DXF/Excel
NaKANCGj1Upgrade naar KadastraleKaart Pro
8AYJZSG7Xh mLhB64ASUpgrade naar KadastraleKaart Pro
JojIZtvp7yYunj43c67sSkUpgrade naar KadastraleKaart Pro
lUzQOv5Upgrade naar KadastraleKaart Pro
ZfdgNPBPonUpgrade naar KadastraleKaart Pro
ScnBXelwlZcSSYVrlJf8DoUpgrade naar KadastraleKaart Pro
iZBT Jx5CHsM 5WYn9IPUpgrade naar KadastraleKaart Pro
8ZQhs2RMbUpgrade naar KadastraleKaart Pro
axX fbi6 zdp MuMCr9Upgrade naar KadastraleKaart Pro
8h7XZj3y45 A Upgrade naar KadastraleKaart Pro
09/12/2022

Percelen
Gebruik de zoekbalk of klik op een perceel om informatie over het perceel te bekijken.