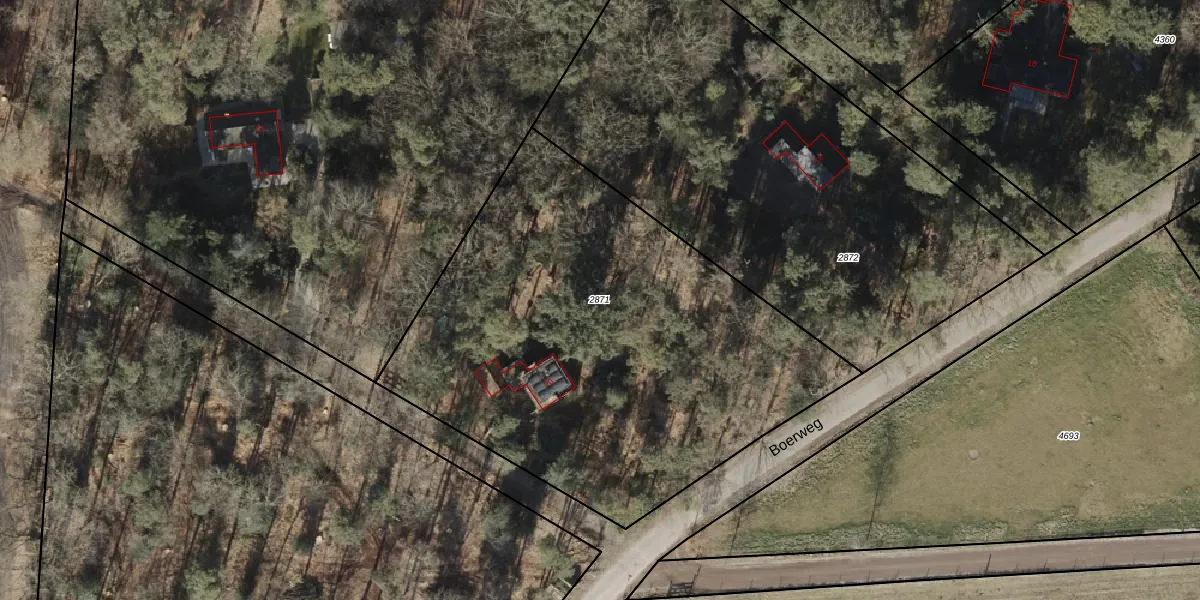
Perceel: EPE00-T-2871
KadastraleKaart.com kan meer dan je denktOntdek meer ›
Filter op bestemming 50+ datasets Eigendomsdata in één klik Percelen CRM
2.712 m2 - 214 m
Eigenaar opvragen
EPE00-T-2871 (Epe en Oene)
- 8162 RA
5 tfdRpqINCMCUEdoLeUpgrade naar KadastraleKaart Pro
Verkoopprijs opvragen
Bekijk op Street View
Download DWG/DXF/Excel
eEQ6M4 bIUpgrade naar KadastraleKaart Pro
4sI2bW yitRABu Upgrade naar KadastraleKaart Pro
4M8ERxnajAXX6sp BUpgrade naar KadastraleKaart Pro
9D0h1 Mn5jZdUpgrade naar KadastraleKaart Pro
XHMLHIZ p AP2 s NtR0eOIUpgrade naar KadastraleKaart Pro
Z8zwi50ONwFUpgrade naar KadastraleKaart Pro
HKnORFgG1Upgrade naar KadastraleKaart Pro
8JcCYO96 mLpgAUpgrade naar KadastraleKaart Pro
l7x a5Y8N mrURDUpgrade naar KadastraleKaart Pro
y7c1GnQseMUpgrade naar KadastraleKaart Pro
28/06/2000

Percelen
Gebruik de zoekbalk of klik op een perceel om informatie over het perceel te bekijken.