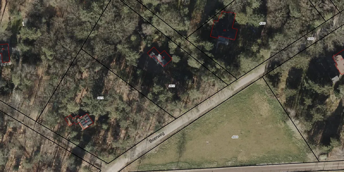
Perceel: EPE00-T-2872
KadastraleKaart.com kan meer dan je denktOntdek meer ›
Filter op bestemming 50+ datasets Eigendomsdata in één klik Percelen CRM
2.710 m2 - 226 m
Eigenaar opvragen
EPE00-T-2872 (Epe en Oene)
- 8162 RA
5LTks 5w Rd2XksCKlqjtg17HTaAOSUpgrade naar KadastraleKaart Pro
Verkoopprijs opvragen
Bekijk op Street View
Download DWG/DXF/Excel
s616WB2vIt0YLyWMRA3gUpgrade naar KadastraleKaart Pro
oJcdkBAReK XUpgrade naar KadastraleKaart Pro
pgY 7f8OxkUpgrade naar KadastraleKaart Pro
TOQU45FPubUpgrade naar KadastraleKaart Pro
p3KaCEhb uD1eUpgrade naar KadastraleKaart Pro
OJqJ Y5rrSd Upgrade naar KadastraleKaart Pro
AR09sVWuq GjUpgrade naar KadastraleKaart Pro
v UKActkyba VUpgrade naar KadastraleKaart Pro
1 yQYZh4O9BcFaUpgrade naar KadastraleKaart Pro
9UHRcp4rUpgrade naar KadastraleKaart Pro
28/06/2000

Percelen
Gebruik de zoekbalk of klik op een perceel om informatie over het perceel te bekijken.