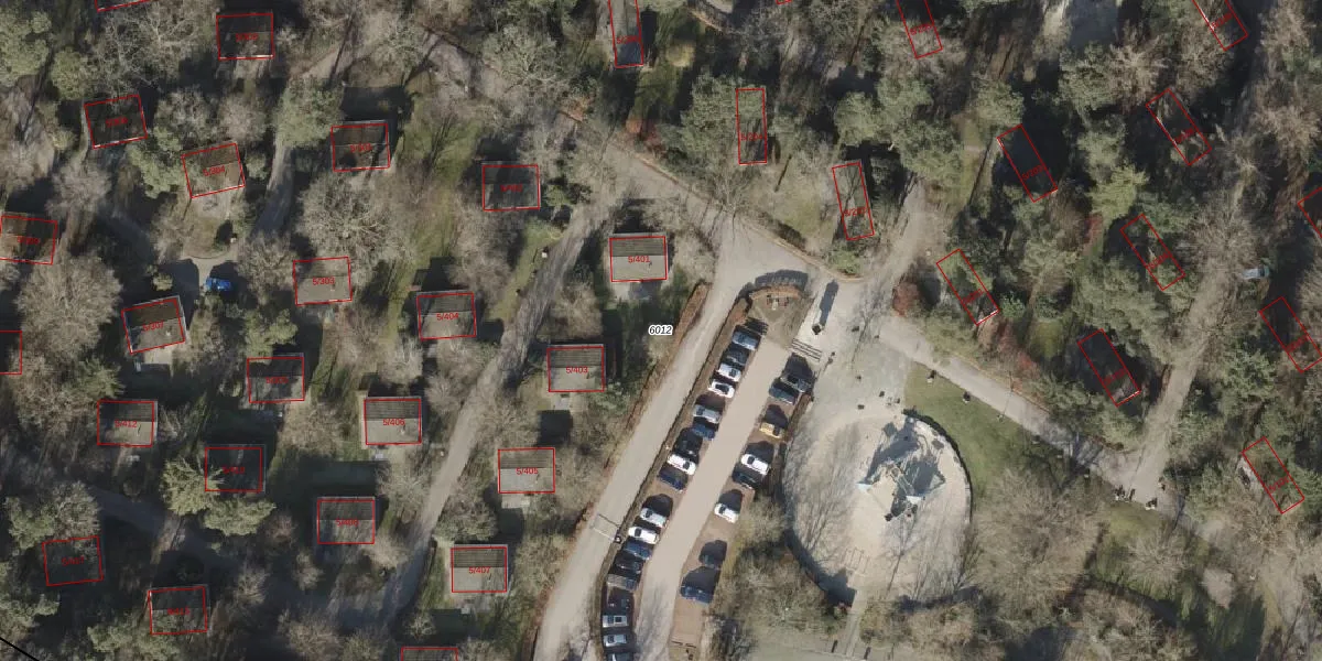
Perceel: EPE00-T-6012
KadastraleKaart.com kan meer dan je denktOntdek meer ›
Filter op bestemming 50+ datasets Eigendomsdata in één klik Percelen CRM
102.125 m2 - 6.284 m
Eigenaar opvragen
EPE00-T-6012 (Epe en Oene)
- 8162 PT
esmbLfkPOuAVwZ2XmRCQ4Upgrade naar KadastraleKaart Pro
Verkoopprijs opvragen
Bekijk op Street View
Download DWG/DXF/Excel
Ry aLb o nPD4S MExUpgrade naar KadastraleKaart Pro
n nvlRM08yB4Zv9HCRgj Upgrade naar KadastraleKaart Pro
7yql RKIrZI5 8SmZQe9FUpgrade naar KadastraleKaart Pro
qVY8GNSTq2gQVxAo VyB4Upgrade naar KadastraleKaart Pro
3qLsxb9dyqUIwSB2km DUpgrade naar KadastraleKaart Pro
v q01FZ4ErGB3YA hUpgrade naar KadastraleKaart Pro
2pF9DUB 30V2C9vOH4BiSZLUpgrade naar KadastraleKaart Pro
QSJGYrtBktfxOBQtjF7A Upgrade naar KadastraleKaart Pro
jleAAJ91 Ecr9SSg4d2IMUpgrade naar KadastraleKaart Pro
QQgiDfOqlGUpgrade naar KadastraleKaart Pro
05/11/2021

Percelen
Gebruik de zoekbalk of klik op een perceel om informatie over het perceel te bekijken.