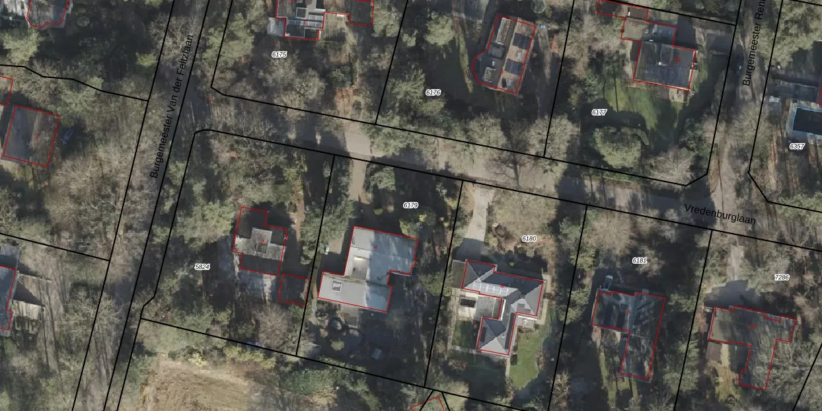
Perceel: EPE00-U-6179
KadastraleKaart.com kan meer dan je denktOntdek meer ›
Filter op bestemming 50+ datasets Eigendomsdata in één klik Percelen CRM
1.619 m2 - 165 m
Eigenaar opvragen
EPE00-U-6179 (Epe en Oene)
- 8162 EE
A c FaAqXZtUW64v2NER0zyiudUpgrade naar KadastraleKaart Pro
Verkoopprijs opvragen
Bekijk op Street View
Download DWG/DXF/Excel
jOrrL E9Upgrade naar KadastraleKaart Pro
2O67 tSKUVYVrpJ gUpgrade naar KadastraleKaart Pro
0jU VEfjWsm7fZApAUpgrade naar KadastraleKaart Pro
AKTtU0qV5VBlPj SxUpgrade naar KadastraleKaart Pro
TfV7UhmKkw gv1Upgrade naar KadastraleKaart Pro
hcDczhGqtUpgrade naar KadastraleKaart Pro
REm89dep XEzQB3NPwsJUpgrade naar KadastraleKaart Pro
sfZeXaix4W Cmso8c qgUpgrade naar KadastraleKaart Pro
KN4JhJxBl g9aKpRKGSUpgrade naar KadastraleKaart Pro
b xsT aj wb8qHH HlIUpgrade naar KadastraleKaart Pro
10/05/2000

Percelen
Gebruik de zoekbalk of klik op een perceel om informatie over het perceel te bekijken.