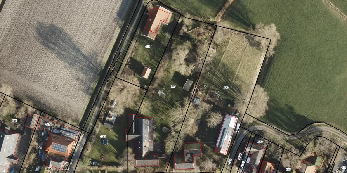
Perceel: ERM00-F-517
KadastraleKaart.com kan meer dan je denktOntdek meer ›
Filter op bestemming 50+ datasets Eigendomsdata in één klik Percelen CRM
2.335 m2 - 233 m
Eigenaar opvragen
ERM00-F-517 (Eenrum)
- 9969 PD
3frkplajsnJdVDlBjb9LzuLS5J CfUpgrade naar KadastraleKaart Pro
Verkoopprijs opvragen
Bekijk op Street View
Download DWG/DXF/Excel
ah9 RGJCx 0Upgrade naar KadastraleKaart Pro
BRAGsMMv9hQHksLl84BUpgrade naar KadastraleKaart Pro
P5NVRrdYkj7FydzUpgrade naar KadastraleKaart Pro
Mfy5 N9fm2e7Upgrade naar KadastraleKaart Pro
Aumdm Tv8zeDTUpgrade naar KadastraleKaart Pro
85y oswu1tWfcDAjqZHqNM0Upgrade naar KadastraleKaart Pro
13HQI 4NFOETZRDUpgrade naar KadastraleKaart Pro
f0 Z oWBrHxxHY2faL18aGiUpgrade naar KadastraleKaart Pro
PIQ EukAtOlCFcoHOimscUpgrade naar KadastraleKaart Pro
IpyDQON8Upgrade naar KadastraleKaart Pro
10/11/2000

Percelen
Gebruik de zoekbalk of klik op een perceel om informatie over het perceel te bekijken.