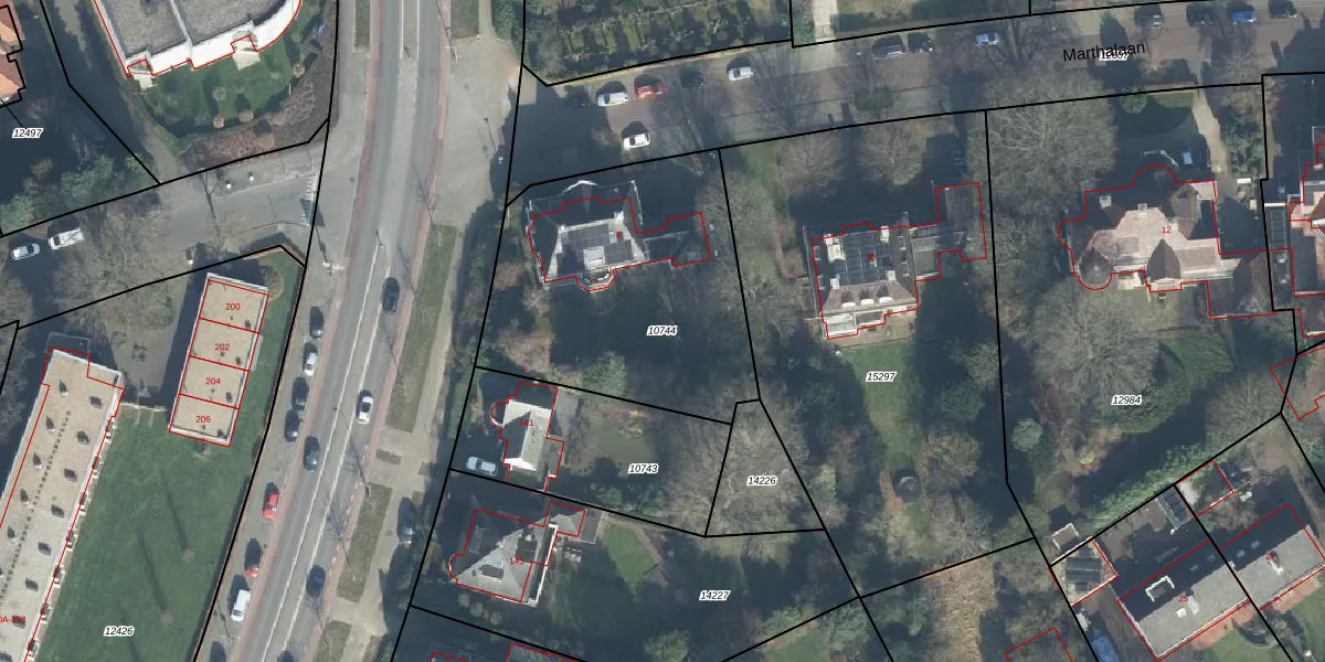
Perceel: ESD00-D-10744
KadastraleKaart.com kan meer dan je denktOntdek meer ›
Filter op bestemming 50+ datasets Eigendomsdata in één klik Percelen CRM
1.308 m2 - 144 m
Eigenaar opvragen
ESD00-D-10744 (Enschede)
- 7533 CD
lZQyYBn4hDpypOE5kz4Upgrade naar KadastraleKaart Pro
Verkoopprijs opvragen
Bekijk op Street View
Download DWG/DXF/Excel
z LthpGJVoZ nt x6Upgrade naar KadastraleKaart Pro
OWnfx1JsVTRQbSln SUpgrade naar KadastraleKaart Pro
4INkHGcYEZaINdvtUpgrade naar KadastraleKaart Pro
ZJlmrVPskUpgrade naar KadastraleKaart Pro
wd6ZjNoOpw7jul9UiUpgrade naar KadastraleKaart Pro
IQlijLfIx r0Z 0nUpgrade naar KadastraleKaart Pro
VPjN6 G KX7O8yWW xSw eUpgrade naar KadastraleKaart Pro
C gWv VynfYVjwM4Upgrade naar KadastraleKaart Pro
Jq5pHBUyX0MOxUpgrade naar KadastraleKaart Pro
CymMVxnwv043B SZzlyQ yLUpgrade naar KadastraleKaart Pro
02/10/2000

Percelen
Gebruik de zoekbalk of klik op een perceel om informatie over het perceel te bekijken.