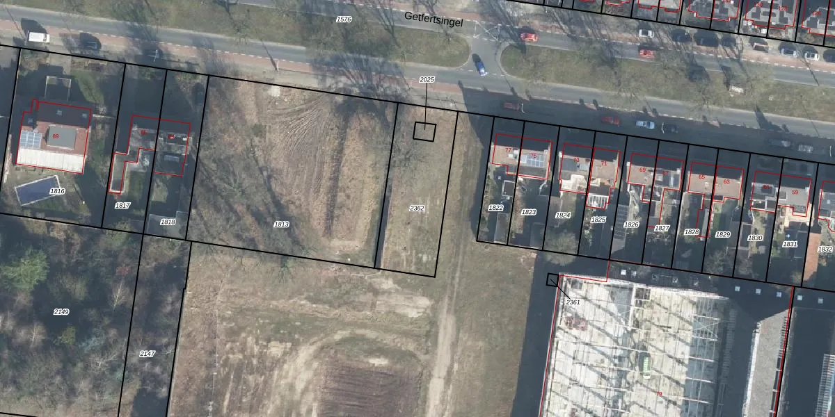
Perceel: ESD00-F-2362
Geen adressen bij dit perceel
572 m2 - 127 m
Eigenaar opvragen
ESD00-F-2362 (Enschede)
- Geen postcode aanwezig
glgDb94qswu22GA3340HiIVh6s3MUpgrade naar KadastraleKaart Pro
Bekijk op Street View
Download DWG/DXF/Excel
bUGfMGldFiGVpUpgrade naar KadastraleKaart Pro
1D jxJaR7FWbUpgrade naar KadastraleKaart Pro
cbLIh65CmqOBuUpgrade naar KadastraleKaart Pro
hWYIU9 mXX6zzLWXmnnPhpUpgrade naar KadastraleKaart Pro
dj 22DRqynp114mQPfFtUpgrade naar KadastraleKaart Pro
5atda dpq xCvRUpgrade naar KadastraleKaart Pro
ZHEOvjmeC6yYTrJkUpgrade naar KadastraleKaart Pro
H02Ph3sy8ApF6AdtJ5u1BtNUpgrade naar KadastraleKaart Pro
UDhad TtdYK2 jMXQ 1XHJkUpgrade naar KadastraleKaart Pro
uYE Qz j0Ni ad9F7cMUpgrade naar KadastraleKaart Pro
22/09/2006

Percelen
Gebruik de zoekbalk of klik op een perceel om informatie over het perceel te bekijken.