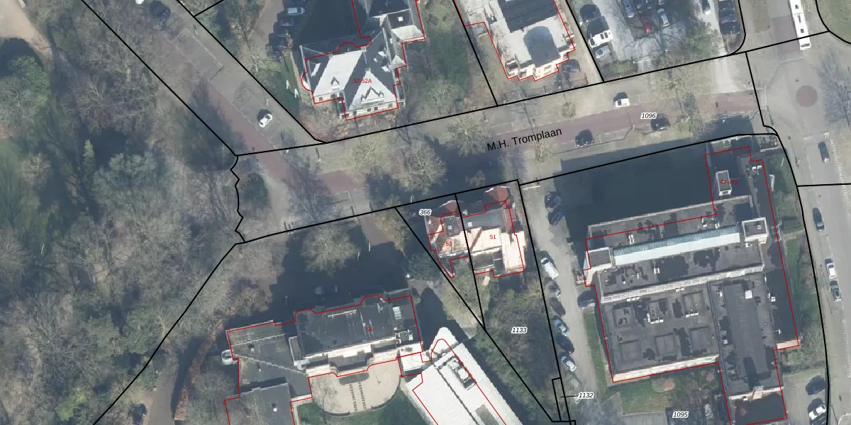
Perceel: ESD00-H-366
KadastraleKaart.com kan meer dan je denktOntdek meer ›
Filter op bestemming 50+ datasets Eigendomsdata in één klik Percelen CRM
248 m2 - 84 m
Eigenaar opvragen
ESD00-H-366 (Enschede)
- 7513 AB
kwGsB5zmuJVJxremWVUpgrade naar KadastraleKaart Pro
Verkoopprijs opvragen
Bekijk op Street View
Download DWG/DXF/Excel
rLX Ush6oWL9wwS Upgrade naar KadastraleKaart Pro
Ogb iu 7Upgrade naar KadastraleKaart Pro
IMCqrmWjTTLU s4ipUpgrade naar KadastraleKaart Pro
pJ gX5mLwUpgrade naar KadastraleKaart Pro
sZv U5TZ Oghi gMknVsd nUpgrade naar KadastraleKaart Pro
YmJ 7MHhw8KS aGBm Jf9NUpgrade naar KadastraleKaart Pro
QQv48ygELodUpgrade naar KadastraleKaart Pro
l2tXoNnEg06OJyrMWF kkUpgrade naar KadastraleKaart Pro
gVBFZ A36CUpgrade naar KadastraleKaart Pro
h72VK5FhHv FUpgrade naar KadastraleKaart Pro
22/09/2000

Percelen
Gebruik de zoekbalk of klik op een perceel om informatie over het perceel te bekijken.