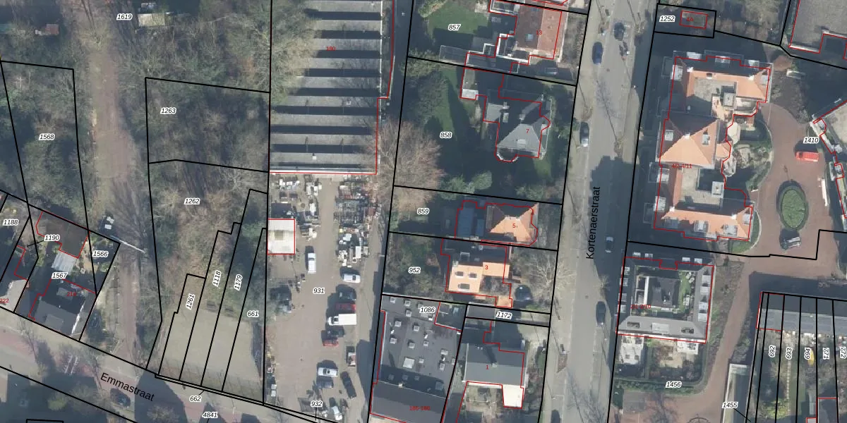
Perceel: ESD00-H-859
KadastraleKaart.com kan meer dan je denktOntdek meer ›
Filter op bestemming 50+ datasets Eigendomsdata in één klik Percelen CRM
440 m2 - 103 m
Eigenaar opvragen
ESD00-H-859 (Enschede)
- 7513 AC
BfeCXCkEUEVdu58 qsIi3w3r Upgrade naar KadastraleKaart Pro
Verkoopprijs opvragen
Bekijk op Street View
Download DWG/DXF/Excel
V8uil0WZMEPvNYUpgrade naar KadastraleKaart Pro
uPeKVIvEWRFUpgrade naar KadastraleKaart Pro
j9sRvK y7d drpSpOUpgrade naar KadastraleKaart Pro
nhl rR kpUpgrade naar KadastraleKaart Pro
mdzRFyyWdm ToRHUpgrade naar KadastraleKaart Pro
QQy4VPdbyf7w3 9nEUpgrade naar KadastraleKaart Pro
94j5 nzGIYFUpgrade naar KadastraleKaart Pro
k7QBN U 6dudbBKbmqJ2M6fUpgrade naar KadastraleKaart Pro
FoTHKU8nMRqVgW0 f9Upgrade naar KadastraleKaart Pro
D6Y7xTFl I2 Q4PlUpgrade naar KadastraleKaart Pro
22/09/2000

Percelen
Gebruik de zoekbalk of klik op een perceel om informatie over het perceel te bekijken.