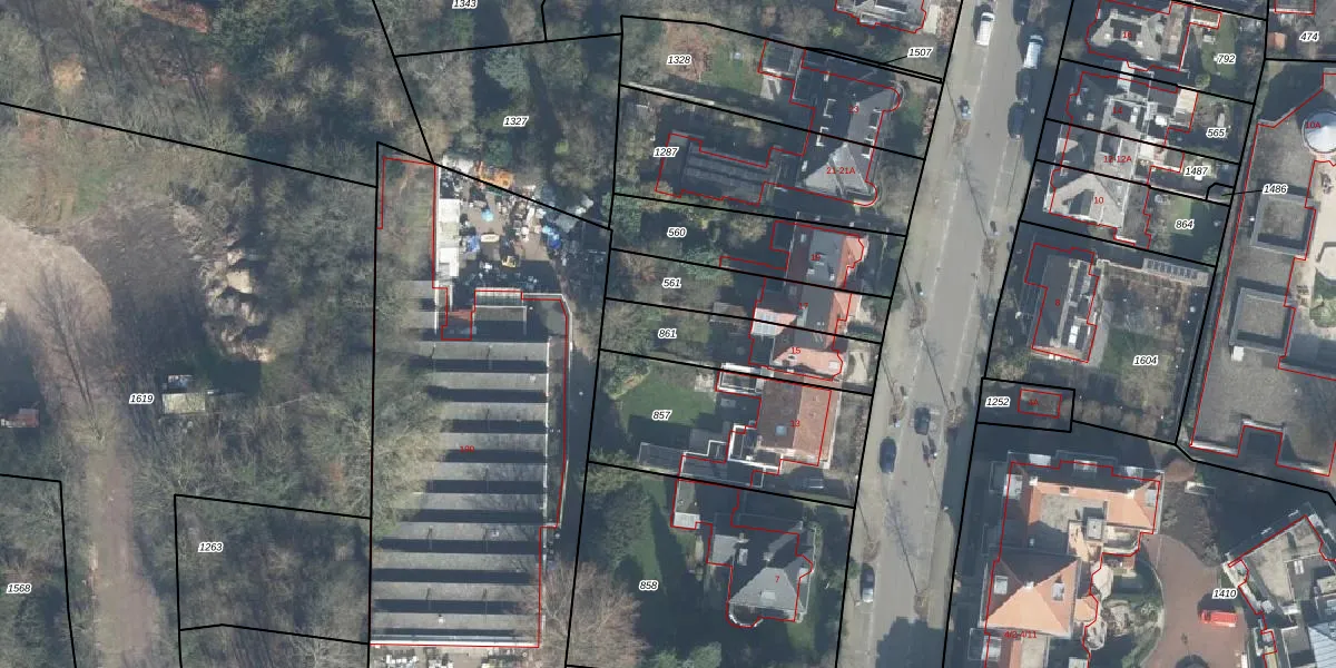
Perceel: ESD00-H-861
KadastraleKaart.com kan meer dan je denktOntdek meer ›
Filter op bestemming 50+ datasets Eigendomsdata in één klik Percelen CRM
324 m2 - 99 m
Eigenaar opvragen
ESD00-H-861 (Enschede)
- 7513 AC
zWgEDCAwS5Fv9Qu awyN4Upgrade naar KadastraleKaart Pro
Bekijk op Street View
Download DWG/DXF/Excel
6 SmjN 5ez1E0QBUpgrade naar KadastraleKaart Pro
DOo7Y6288saEEkOh4h3Upgrade naar KadastraleKaart Pro
qixjBV4AMO472sl49o8Upgrade naar KadastraleKaart Pro
qEZ8diTahvsLkjhuy8eUpgrade naar KadastraleKaart Pro
zCDu5cjyGi kxKb80jSSSGUpgrade naar KadastraleKaart Pro
o3G3xK9NUpgrade naar KadastraleKaart Pro
KBExjpfT8R Upgrade naar KadastraleKaart Pro
hS51amaji Tah1MRr3TeUpgrade naar KadastraleKaart Pro
LypO QExvAQCYbTsMUpgrade naar KadastraleKaart Pro
OI v3g4IuoV9assPwCCgo3Upgrade naar KadastraleKaart Pro
29/09/2000

Percelen
Gebruik de zoekbalk of klik op een perceel om informatie over het perceel te bekijken.