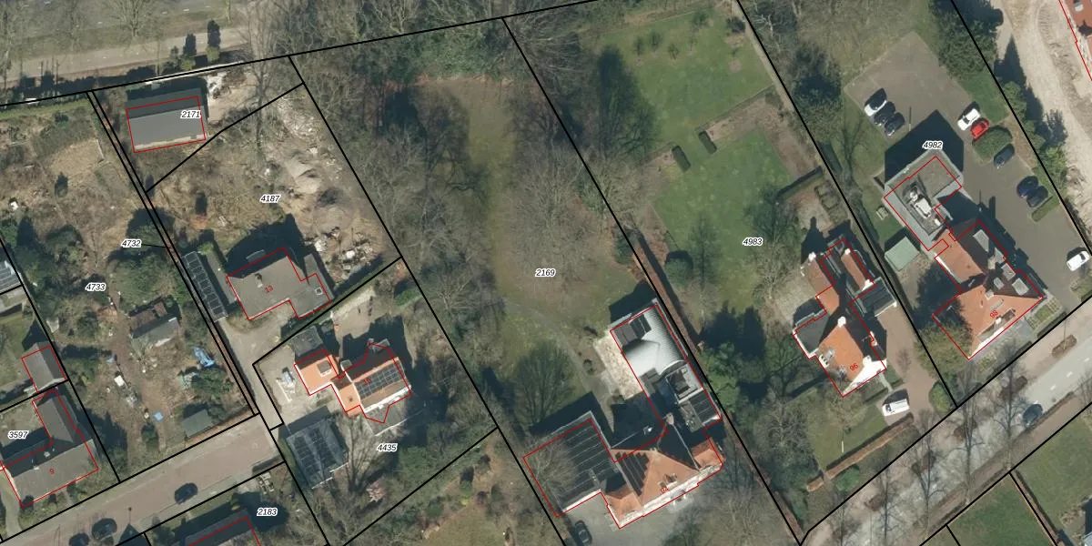
Perceel: ESL00-F-2169
KadastraleKaart.com kan meer dan je denktOntdek meer ›
Filter op bestemming 50+ datasets Eigendomsdata in één klik Percelen CRM
4.540 m2 - 324 m
Eigenaar opvragen
ESL00-F-2169 (Eersel)
- 5521 CE
vvUVJBq KbQzhB4ZPgFjFUpgrade naar KadastraleKaart Pro
Bekijk op Street View
Download DWG/DXF/Excel
Jf t6tihucv1dkZLUpgrade naar KadastraleKaart Pro
hzZ1gSHVZMJUGdCFcBUpgrade naar KadastraleKaart Pro
h OwpvHJpkEliAUpgrade naar KadastraleKaart Pro
ZCzS31bIAY1cUpgrade naar KadastraleKaart Pro
79U5aJtp2jFUtILDHUT4wUpgrade naar KadastraleKaart Pro
4uXQW6d 34u3Hzyk8 9Mm Upgrade naar KadastraleKaart Pro
rqIIsqD2vez2Upgrade naar KadastraleKaart Pro
J3H7s4QPUpgrade naar KadastraleKaart Pro
rqDveJV5in17uNWEuUpgrade naar KadastraleKaart Pro
Cq90 Y kQy 6KuMUpgrade naar KadastraleKaart Pro
18/08/2009

Percelen
Gebruik de zoekbalk of klik op een perceel om informatie over het perceel te bekijken.