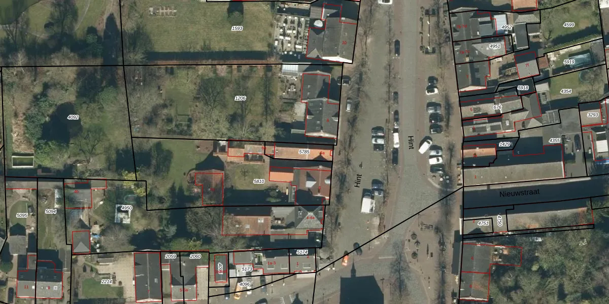
Perceel: ESL00-F-5785
123 m2 - 55 m
Eigenaar opvragen
ESL00-F-5785 (Eersel)
- 5521 AH
ZsDeFvq vIyTns GM0Upgrade naar KadastraleKaart Pro
Bekijk op Street View
Download DWG/DXF/Excel
cu 2vJVdWkVNmUpgrade naar KadastraleKaart Pro
9TaN cjr7ZwuJG c1qlAY5Upgrade naar KadastraleKaart Pro
876ivYnc Upgrade naar KadastraleKaart Pro
rr6TbU ZPznwDk9TrzvahnUpgrade naar KadastraleKaart Pro
eDneMt6F RKi0 RUpgrade naar KadastraleKaart Pro
7KQ V rHZFXbjpl8zUpgrade naar KadastraleKaart Pro
rBs D4glmSeib5G7Upgrade naar KadastraleKaart Pro
bUNG2voHck7QTRUpgrade naar KadastraleKaart Pro
bQRdQ3y965ZChyUpgrade naar KadastraleKaart Pro
yelzjkKoUpgrade naar KadastraleKaart Pro
10/06/2020

Percelen
Gebruik de zoekbalk of klik op een perceel om informatie over het perceel te bekijken.