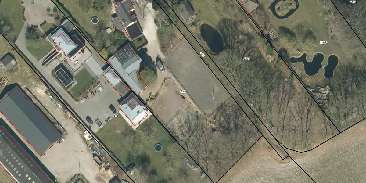
Perceel: ESL00-K-384
KadastraleKaart.com kan meer dan je denktOntdek meer ›
Filter op bestemming 50+ datasets Eigendomsdata in één klik Percelen CRM
5.820 m2 - 367 m
Eigenaar opvragen
ESL00-K-384 (Eersel)
- 5524 AP
sqSgOok0g8NNSlUCFZlV9Upgrade naar KadastraleKaart Pro
Verkoopprijs opvragen
Bekijk op Street View
Download DWG/DXF/Excel
R U9QhgWUpgrade naar KadastraleKaart Pro
ImpbHkjdHhUbty91X96Upgrade naar KadastraleKaart Pro
vbhNvM aUUpgrade naar KadastraleKaart Pro
jg1IKh5J k HpSptOUpgrade naar KadastraleKaart Pro
U0Y Jko iQgs0iCurJoncinUpgrade naar KadastraleKaart Pro
m5F5BkT1tC4 xJoAKj7QxsOUpgrade naar KadastraleKaart Pro
527Jb3FlUpgrade naar KadastraleKaart Pro
apBeTB7J7 aepL SABUpgrade naar KadastraleKaart Pro
iYY7OBy AcUpgrade naar KadastraleKaart Pro
Wow5VMR DYWnPD AOLonjUpgrade naar KadastraleKaart Pro
04/05/2005

Percelen
Gebruik de zoekbalk of klik op een perceel om informatie over het perceel te bekijken.