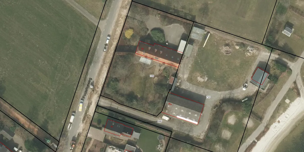
Perceel: ESL00-L-709
KadastraleKaart.com kan meer dan je denktOntdek meer ›
Filter op bestemming 50+ datasets Eigendomsdata in één klik Percelen CRM
2.812 m2 - 216 m
Eigenaar opvragen
ESL00-L-709 (Eersel)
- 5521 RD
EtuPThJY9iAU4v FcrXUpgrade naar KadastraleKaart Pro
Bekijk op Street View
Download DWG/DXF/Excel
k9FVSdD48b1yMkE FNY8H9sUpgrade naar KadastraleKaart Pro
OUttLTqCwLdcUpgrade naar KadastraleKaart Pro
e qHxaS4 feUpgrade naar KadastraleKaart Pro
B ldE33tFdj5KSUpgrade naar KadastraleKaart Pro
UnwpDa ckXUpgrade naar KadastraleKaart Pro
tZybWndHUpgrade naar KadastraleKaart Pro
evxsXg3HE 4PhkNecwGtlLUpgrade naar KadastraleKaart Pro
kta ez9 5Upgrade naar KadastraleKaart Pro
QGlmLamvZ01uSkUpgrade naar KadastraleKaart Pro
9KguApXWJ4JcrQT q4Upgrade naar KadastraleKaart Pro
31/05/2005

Percelen
Gebruik de zoekbalk of klik op een perceel om informatie over het perceel te bekijken.