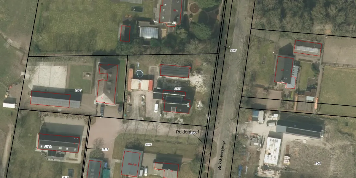
Perceel: ESL00-M-2707
KadastraleKaart.com kan meer dan je denktOntdek meer ›
Filter op bestemming 50+ datasets Eigendomsdata in één klik Percelen CRM
1.886 m2 - 175 m
Eigenaar opvragen
ESL00-M-2707 (Eersel)
- 5521 PX
d1qziP0 Un4 F8ntVdT5Upgrade naar KadastraleKaart Pro
Bekijk op Street View
Download DWG/DXF/Excel
9yN0T2g6ey5KUpgrade naar KadastraleKaart Pro
vWp kWNIWax1qgUpgrade naar KadastraleKaart Pro
wUYmQ4zSUpgrade naar KadastraleKaart Pro
4zc9yJq VRFjyZj O PqAUpgrade naar KadastraleKaart Pro
Tz15iZGhxHVNfgPUpgrade naar KadastraleKaart Pro
OX5s ibu0cFCClZgUpgrade naar KadastraleKaart Pro
O2fW 4N8Sx9jgt0Upgrade naar KadastraleKaart Pro
Be3Na0J zA jJ1Upgrade naar KadastraleKaart Pro
DCDvHAePgUpgrade naar KadastraleKaart Pro
tx Z5 QcejQj9FRcbtb0CUpgrade naar KadastraleKaart Pro
02/09/2021

Percelen
Gebruik de zoekbalk of klik op een perceel om informatie over het perceel te bekijken.