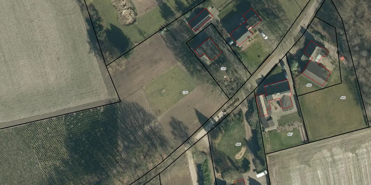
Perceel: ESL00-O-790
KadastraleKaart.com kan meer dan je denktOntdek meer ›
Filter op bestemming 50+ datasets Eigendomsdata in één klik Percelen CRM
10.285 m2 - 658 m
Eigenaar opvragen
ESL00-O-790 (Eersel)
- 5513 NG
v5 YTKvu cnZR dci4CjDoQUpgrade naar KadastraleKaart Pro
Verkoopprijs opvragen
Bekijk op Street View
Download DWG/DXF/Excel
Gnf0u2N4SycAEUpgrade naar KadastraleKaart Pro
mXqa YxuUpgrade naar KadastraleKaart Pro
K KXyVlDSYeEuvUpgrade naar KadastraleKaart Pro
93OuF 5 nulXiZMgiHUpgrade naar KadastraleKaart Pro
jrv rS l98nfGB1BiCdyUpgrade naar KadastraleKaart Pro
yPsd7Bc0Upgrade naar KadastraleKaart Pro
o6V9uXTfJKi7OUpgrade naar KadastraleKaart Pro
yhIECPP02vtDkFQwxenMyUpgrade naar KadastraleKaart Pro
9ujPaP8qBg A x2 IzUpgrade naar KadastraleKaart Pro
6ILgbZ rYIBi0ea3mw Upgrade naar KadastraleKaart Pro
27/11/2017

Percelen
Gebruik de zoekbalk of klik op een perceel om informatie over het perceel te bekijken.